2026. április 12., vasárnap

Anais - Korai intenzív trópusi ciklon a Indiai-óceán déli részén

Érdekességek - Publikálva: 2012-10-18 13:03 | Becsült olvasási idő: kb 2 perc.

Az Indiai-óceán déli felén hivatalosan november 1. és április 30. között, a déli félteke nyári idõszakában van a trópusi ciklonok szezonja. Különösen az Egyenlítõhöz közel esõ területeken azonban a tengervíz hõmérséklete még a téli idõszakban is 26 °C körüli, ennek megfelelõen a térségben szinte bármelyik hónapban kialakulhat trópusi ciklon, de ezt télen  gyakran megakadályozzák az erõs magassági szelek. 2012-ben a korábbi aktív szezont követõen azonban két trópusi rendszer is kifejlõdött a hivatalos szezonon kívüli idõszakban, melyek közül Anais elérte az intenzív trópusi ciklon erõsséget.
Az elsõ rendszer a Kuena névre keresztelt volt, mely - még a 2011/2012-es szezon részeként - június 5-én alakult ki. A körülmények nem kedveztek a számottevõ erõsödésének és a tartós fennmaradásának, ugyanis bár a tengervíz hõmérséklete elérte a 25-26 °C-ot, a magasban erõteljes keleti áramlás volt jellemzõ. Ennek ellenére Kuena 6-án este az ottani ciklonskála alapján erõs trópusi vihar lett 95 km/h-s 10 perces átlagszéllel és 990 hPa-os központi légnyomással. A struktúrája azonban az erõs magassági szél miatt szervezetlen maradt, ami mûholdképen a ciklon nyugati oldalán hosszan elnyúló fátyolfelhõzet formájában nyilvánult meg. 7-én szárazabb levegõ áramlott a  rendszerbe, mely hatására jelentõsen legyengült, majd teljesen szétesett.

Kuena mérsékelt trópusi viharként 2012. június 6-án délután:
A második, október 12-én kialakult rendszernek - mely már a 2012/2013-as szezonba lett sorolva, így az elõre meghatározott névlistából az elsõ, Anais nevet kapta - sokkal kedvezõbb körülmények álltak rendelkezésére útja során. A tengervíz hõmérséklete ugyanis a kialakulási helyén és az útvonala elsõ szakaszában 26-27 °C körüli volt, a magasban pedig gyenge maradt a szélsebesség a ciklon környezetében. A képzõdmény 12-én még trópusi depresszió maradt, másnap azonban mérsékelt trópusi viharrá erõsödött, és ezzel el is nevezték. Ekkor a mûholdképen már nagyszerûen látszott a spirálisan örvénylõ struktúra a minden irányba kiterjedõ fátyolfelhõzettel, mely a gyenge magassági szélre utalt.

Az Anais mérsékelt trópusi vihar 2012. október 13-án:
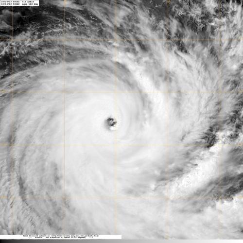
Anais 13-án este gyors erõsödésbe kezdett, és trópusi ciklonná alakult. Éjszaka pedig további fejlõdésen esett át, és másnapra szervezett struktúrát alakított ki szabályos, felhõmentes szemmel és körülötte messze elnyúló spirális felhõkarokkal. Ennek nyomán a rendszer délután intenzív trópusi ciklonná nõtte ki magát 185 km/h-s 10 perces átlagszéllel és 949 hPa-os központi légnyomással (ez az Atlanti-óceánon használatos Saffir-Simpson hurrikánskála alapján erõs 3-as kategóriájú hurrikánnak felelne meg). Ezzel a hivatalos megfigyelések kezdete óta Anais lett a legkorábbi intenzív trópusi ciklon a térségben, és egyben az elsõ, mely októberben alakult ki.

Anais intenzív trópusi ciklonként 2012. október 14-én:
A következõ napokban Anais délnyugat felé haladva egyre hidegebb vizek fölé ért, és ezzel megkezdõdött a fokozatos gyengülése. Emiatt 16-ára virradó éjszaka visszafokozták erõs trópusi viharrá, majd nem sokkal késõbb mérsékelt trópusi viharrá. 17-én szinte teljesen megszûnt a zivatarképzõdés az alacsonyszinten még fennálló örvénylõ központ körül, így Anais trópusi depresszióvá gyengült, majd 18-án feloszlott.

A ciklon szélerõsség-légnyomás grafikonja:
A térségben használatos ciklonskála kategóriái és a hozzájuk tartozó szélsebességek:
 
  Kategória:                                          Szélsebesség - 10 perces átlag:
  trópusi zavar                            <28 csomó (<50 km/h)
  trópusi depresszió                     28-33 csomó (51-62 km/h)
  mérsékelt trópusi vihar              34-47 csomó (63-88 km/h)
  erõs trópusi vihar                      48-63 csomó (89-117 km/h)
  trópusi ciklon                            64-89 csomó (118-165 km/h)
  intenzív trópusi ciklon                90-115 csomó (166-212 k/h)
  nagyon intenzív trópusi ciklon     >115 csomó (>212 km/h)

A mûholdképek forrása: Kuena, Anais

Írta: Hérincs Dávid (Zivipötty)

Vissza a hírek főoldalra