Hurrikánok és tájfunok
Hasznos linkek
>> National Hurricane Center>> Joint Typhoon Warning Center
>> Weather Underground
>> Tropical Tidbits
Nano!
Egyszer mondtad, hogy repülnél az Azori-szigetekhez, mert ment oda egy hurrikán, csak az asszony nem engedett el.
Kezd el időben felkészíteni az asszonyt
ECM.
GFS.
Egyszer mondtad, hogy repülnél az Azori-szigetekhez, mert ment oda egy hurrikán, csak az asszony nem engedett el.
Kezd el időben felkészíteni az asszonyt
ECM.

GFS.

Az marhajó, ahogy lement arról a szigetről, visszaért a vízfelszín fölé és már erősödik is vissza Link
A legerősebb széllökést viszont egy másik állomás vitte 66,9 m/s-mal.
Egy 50 m magasan lévő állomás (a helyi Lágymányos
) 73,8 m/s-ot mért. Szép!
Egy 50 m magasan lévő állomás (a helyi Lágymányos

Így is lett. Az egyik állomás 921,7 hPa-t mért, és 62,0 m/s-os szelet. Ezzel ez lett a valaha mért legalacsonyabb légnyomás Kínában.
Bitos láttátok, hogy a kezdeti lendület után elég gyengén alakul az atlanti hurrikánszezon. Augusztus 20 után nem alakult ki nevesíthető vihar. Ki jött egy új anyag, ami ennek okait taglalja: Link
Röviden:
1. Északra tolódott monszun árok: Az afrikai keleti hullámok túlságosan északon jelennek meg, ami miatt a viharok hidegebb vizek fölé kerülnek, csökkentve ezzel az aktivitást.
Monszun árok és az afrikai keleti hullámokA monszun árok egy alacsony nyomású zóna, amely az afrikai kontinens felett húzódik nyugat-keleti irányban. Ez a zóna kritikus szerepet játszik a trópusi időjárási rendszerek, különösen az úgynevezett afrikai keleti hullámok (African Easterly Waves) kialakulásában és fejlődésében. Az afrikai keleti hullámok a trópusi ciklonok (például hurrikánok) "magjai", amelyek a nyugat-afrikai partok mentén alakulnak ki, majd nyugatra haladnak az Atlanti-óceán felé. Ha ezek a hullámok megfelelő feltételek mellett fejlődnek, trópusi viharokká vagy hurrikánokká alakulhatnak.Miért probléma az északra tolódott monszun árok?Északra tolódás következményei: Az idei szezonban az afrikai monszun árok sokkal északabbra tolódott a szokásosnál. Ennek következtében az afrikai keleti hullámok is túlságosan északon alakulnak ki és haladnak tovább az Atlanti-óceán felé. Ez a helyzet azért probléma, mert ezek a hullámok hidegebb tengervizek fölé kerülnek, amikor kijutnak az Atlanti-óceánra.Hidegebb vizek hatása: A trópusi ciklonok fejlődéséhez meleg tengervízre van szükség, amelynek hőmérséklete általában legalább 26-27°C kell legyen. Ha a viharok hidegebb vizek fölé kerülnek, az energiát adó hőforrásuk csökken, ami jelentősen csökkenti az esélyüket arra, hogy trópusi viharrá vagy hurrikánná fejlődjenek.Száraz levegő beáramlása: Az északra tolódott monszun árok nemcsak hidegebb vizek fölé tereli a hullámokat, hanem közelebb hozza őket a száraz szubtrópusi régiókhoz is. Ezekből a régiókból száraz levegő áramlik be, ami tovább csökkenti a mély konvekció kialakulásának esélyét. A trópusi viharoknak magas páratartalmú környezetre van szükségük a felhőzet és a csapadék kialakulásához; a száraz levegő beáramlása azonban ezt megakadályozza.Jelenlegi tengeri és légköri feltételekA dokumentum említi, hogy a monszun árok jelenlegi északra tolódása részben a tengerfelszíni hőmérsékleti anomáliák következménye: a fő fejlesztési régió (Main Development Region, MDR) rendkívül meleg, míg az Egyenlítő közelében viszonylag hűvösebb a tenger. Ez a kombináció hozzájárulhatott ahhoz, hogy a monszun árok szélsőségesen északra tolódjon.
2. Rendkívül meleg felső légköri hőmérsékletek: Ezek stabilizálják a légkört, és gátolják a mély konvekció kialakulását, ami csökkenti a hurrikánképződést.
Ez valószínűleg nem igényel magyarázatot. A dokumentum azt is megjegyzi, hogy az idei szezonban tapasztalt melegebb felső légköri hőmérsékletek valószínűleg összefüggésben állnak az El Niño éves időskálán jelentkező hatásaival, valamint az antropogén (ember okozta) melegedés hosszú távú tendenciáival. Ez azt jelenti, hogy ha a felső légkör tovább melegszik, az a jövőbeli hurrikánszezonokban is komoly stabilizációs hatást gyakorolhat, ami tovább csökkentheti a trópusi ciklonok gyakoriságát és intenzitását.
3. Túl sok keleti szélnyírás a keleti Atlanti-óceánon: Ez megakadályozza a trópusi ciklonok fejlődését az atlanti térség keleti részén.
A dokumentum alapján 2024 augusztusában a trópusi Atlanti-óceán teljes területén kifejezett keleti felső légköri szél-anomáliák alakultak ki, amelyek Afrikáig nyúlnak. Ezek az anomáliák az afrikai monszun rendkívüli erejére utalnak. Ezek a keleti szelek a felső légkörben erősen uralják a keleti Atlanti-óceán területét.A keleti szélnyírás különösen problémás a keleti Atlanti-óceánon, mivel az ott kialakuló trópusi hullámok és ciklonok általában alacsony szélnyírási környezetet igényelnek az erősödéshez. Az erős keleti szélnyírás azonban megakadályozza ezt a folyamatot, mert a különböző magassági rétegekben lévő szelek nem támogatják a ciklon központi magjának szimmetrikus kialakulását. Ezért a trópusi viharok vagy ciklonok gyakran "szét vannak tépve" a különböző irányú szelek által, mielőtt megerősödhetnének.
4. Kedvezőtlen Madden-Julian oszcilláció: A legutóbbi időszakban tapasztalt nagy léptékű időjárási minták, mint a Madden-Julian oszcilláció, szintén hozzájárultak a kedvezőtlen feltételekhez.
Az MJO egy körülbelül 30-60 napos időciklusban mozgó konvekciós (zivataros) zóna, amely nyugatról kelet felé halad az Egyenlítő mentén. Az MJO különböző fázisai kedvezően vagy kedvezőtlenül hathatnak a trópusi ciklonok, köztük a hurrikánok kialakulására. A dokumentum szerint az MJO az utóbbi időszakban kedvezőtlen fázisban volt az Atlanti-óceán számára. Jelenleg az MJO keletebbre, a Maritime Continent régiójában helyezkedik el. Ez azt jelenti, hogy a konvektív aktivitás kelet felé tolódott el, távol az Atlanti-óceántól. Ennek eredményeképpen az Atlanti térségben csökkent a trópusi ciklonképződéshez szükséges kedvező feltételek előfordulása.
A doksi megemlíti, hogy a kedvezőtlen MJO-fázissal együtt egy trópusi felső-troposzférikus árok (TUTT) is kialakult a központi Atlanti-óceán térségében, ami tovább erősíti a vertikális szélnyírást. A TUTT egy olyan magasnyomású rendszer, amely megzavarja a légköri egyensúlyt, és további akadályokat gördít a trópusi ciklonok fejlődése elé.
Röviden:
1. Északra tolódott monszun árok: Az afrikai keleti hullámok túlságosan északon jelennek meg, ami miatt a viharok hidegebb vizek fölé kerülnek, csökkentve ezzel az aktivitást.
Monszun árok és az afrikai keleti hullámokA monszun árok egy alacsony nyomású zóna, amely az afrikai kontinens felett húzódik nyugat-keleti irányban. Ez a zóna kritikus szerepet játszik a trópusi időjárási rendszerek, különösen az úgynevezett afrikai keleti hullámok (African Easterly Waves) kialakulásában és fejlődésében. Az afrikai keleti hullámok a trópusi ciklonok (például hurrikánok) "magjai", amelyek a nyugat-afrikai partok mentén alakulnak ki, majd nyugatra haladnak az Atlanti-óceán felé. Ha ezek a hullámok megfelelő feltételek mellett fejlődnek, trópusi viharokká vagy hurrikánokká alakulhatnak.Miért probléma az északra tolódott monszun árok?Északra tolódás következményei: Az idei szezonban az afrikai monszun árok sokkal északabbra tolódott a szokásosnál. Ennek következtében az afrikai keleti hullámok is túlságosan északon alakulnak ki és haladnak tovább az Atlanti-óceán felé. Ez a helyzet azért probléma, mert ezek a hullámok hidegebb tengervizek fölé kerülnek, amikor kijutnak az Atlanti-óceánra.Hidegebb vizek hatása: A trópusi ciklonok fejlődéséhez meleg tengervízre van szükség, amelynek hőmérséklete általában legalább 26-27°C kell legyen. Ha a viharok hidegebb vizek fölé kerülnek, az energiát adó hőforrásuk csökken, ami jelentősen csökkenti az esélyüket arra, hogy trópusi viharrá vagy hurrikánná fejlődjenek.Száraz levegő beáramlása: Az északra tolódott monszun árok nemcsak hidegebb vizek fölé tereli a hullámokat, hanem közelebb hozza őket a száraz szubtrópusi régiókhoz is. Ezekből a régiókból száraz levegő áramlik be, ami tovább csökkenti a mély konvekció kialakulásának esélyét. A trópusi viharoknak magas páratartalmú környezetre van szükségük a felhőzet és a csapadék kialakulásához; a száraz levegő beáramlása azonban ezt megakadályozza.Jelenlegi tengeri és légköri feltételekA dokumentum említi, hogy a monszun árok jelenlegi északra tolódása részben a tengerfelszíni hőmérsékleti anomáliák következménye: a fő fejlesztési régió (Main Development Region, MDR) rendkívül meleg, míg az Egyenlítő közelében viszonylag hűvösebb a tenger. Ez a kombináció hozzájárulhatott ahhoz, hogy a monszun árok szélsőségesen északra tolódjon.
2. Rendkívül meleg felső légköri hőmérsékletek: Ezek stabilizálják a légkört, és gátolják a mély konvekció kialakulását, ami csökkenti a hurrikánképződést.
Ez valószínűleg nem igényel magyarázatot. A dokumentum azt is megjegyzi, hogy az idei szezonban tapasztalt melegebb felső légköri hőmérsékletek valószínűleg összefüggésben állnak az El Niño éves időskálán jelentkező hatásaival, valamint az antropogén (ember okozta) melegedés hosszú távú tendenciáival. Ez azt jelenti, hogy ha a felső légkör tovább melegszik, az a jövőbeli hurrikánszezonokban is komoly stabilizációs hatást gyakorolhat, ami tovább csökkentheti a trópusi ciklonok gyakoriságát és intenzitását.
3. Túl sok keleti szélnyírás a keleti Atlanti-óceánon: Ez megakadályozza a trópusi ciklonok fejlődését az atlanti térség keleti részén.
A dokumentum alapján 2024 augusztusában a trópusi Atlanti-óceán teljes területén kifejezett keleti felső légköri szél-anomáliák alakultak ki, amelyek Afrikáig nyúlnak. Ezek az anomáliák az afrikai monszun rendkívüli erejére utalnak. Ezek a keleti szelek a felső légkörben erősen uralják a keleti Atlanti-óceán területét.A keleti szélnyírás különösen problémás a keleti Atlanti-óceánon, mivel az ott kialakuló trópusi hullámok és ciklonok általában alacsony szélnyírási környezetet igényelnek az erősödéshez. Az erős keleti szélnyírás azonban megakadályozza ezt a folyamatot, mert a különböző magassági rétegekben lévő szelek nem támogatják a ciklon központi magjának szimmetrikus kialakulását. Ezért a trópusi viharok vagy ciklonok gyakran "szét vannak tépve" a különböző irányú szelek által, mielőtt megerősödhetnének.
4. Kedvezőtlen Madden-Julian oszcilláció: A legutóbbi időszakban tapasztalt nagy léptékű időjárási minták, mint a Madden-Julian oszcilláció, szintén hozzájárultak a kedvezőtlen feltételekhez.
Az MJO egy körülbelül 30-60 napos időciklusban mozgó konvekciós (zivataros) zóna, amely nyugatról kelet felé halad az Egyenlítő mentén. Az MJO különböző fázisai kedvezően vagy kedvezőtlenül hathatnak a trópusi ciklonok, köztük a hurrikánok kialakulására. A dokumentum szerint az MJO az utóbbi időszakban kedvezőtlen fázisban volt az Atlanti-óceán számára. Jelenleg az MJO keletebbre, a Maritime Continent régiójában helyezkedik el. Ez azt jelenti, hogy a konvektív aktivitás kelet felé tolódott el, távol az Atlanti-óceántól. Ennek eredményeképpen az Atlanti térségben csökkent a trópusi ciklonképződéshez szükséges kedvező feltételek előfordulása.
A doksi megemlíti, hogy a kedvezőtlen MJO-fázissal együtt egy trópusi felső-troposzférikus árok (TUTT) is kialakult a központi Atlanti-óceán térségében, ami tovább erősíti a vertikális szélnyírást. A TUTT egy olyan magasnyomású rendszer, amely megzavarja a légköri egyensúlyt, és további akadályokat gördít a trópusi ciklonok fejlődése elé.
Komoly lehet a helyzet!
Egyrészt sűrűn lakott vidék Vitenámban, másrészt Haiphong 2 milliós város.
Harmadrészt sokfelé 2-3-4 méteres tszf. magasságkülönbség van a parttól 50 kilóméterrel beljebb is.
Az a vidék folyók deltatorkolata, szerintem egy csomó folyót fel fog torlasztani a szél és a úszni fog az egész síkság.
Egyrészt sűrűn lakott vidék Vitenámban, másrészt Haiphong 2 milliós város.
Harmadrészt sokfelé 2-3-4 méteres tszf. magasságkülönbség van a parttól 50 kilóméterrel beljebb is.
Az a vidék folyók deltatorkolata, szerintem egy csomó folyót fel fog torlasztani a szél és a úszni fog az egész síkság.


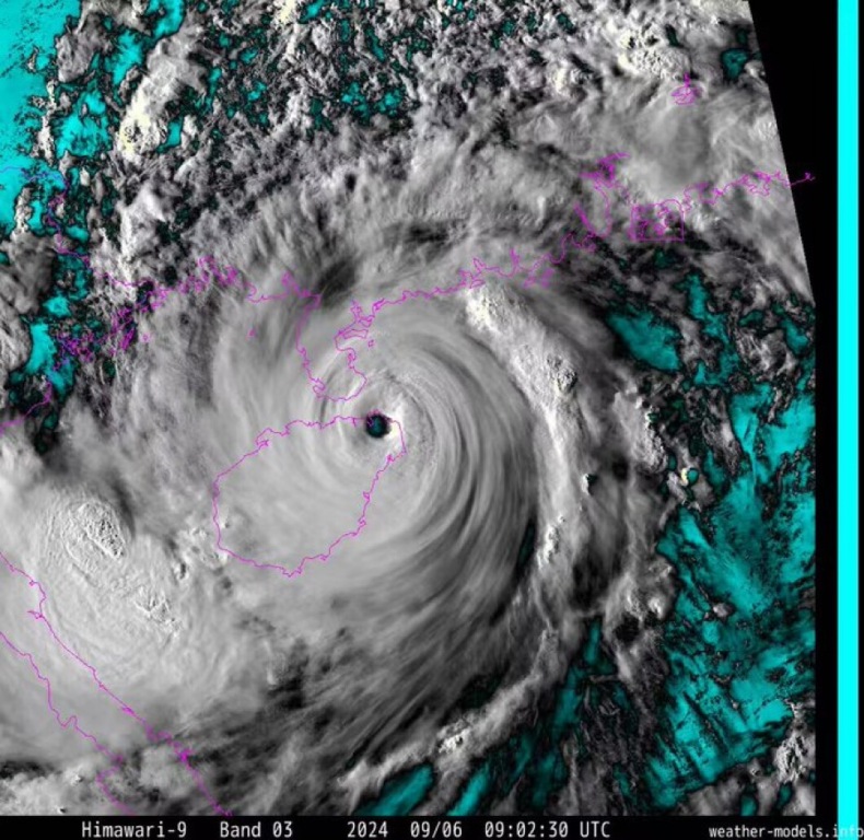
Ha bejön a JMA előréje, akkor Yagi lehet az eddig megfigyel legerősebb tájfun Hainanon

Mondjuk a nyírás zabálja rendesen. Nem tud kialakulni egy stabil CDO. Azért így is jó egy 45 csomós 10 perces átlagra

Több modell is pedzegeti, én is néztem már tegnap, pl. az Arpege, az ausztrál meg a svájci is, utóbbi szokásához híven elég masszívan, jó kis pinhole eye struktúrával, annak ellenére is, hogy a többihez képest korábbra várja a partot érést. 
Mondjuk szerintem sem lesz ennyire komoly, ha egyáltalán lesz valami belőle (azért nagyon szűk ott a víz).
Mondjuk szerintem sem lesz ennyire komoly, ha egyáltalán lesz valami belőle (azért nagyon szűk ott a víz).



Az ICON herriként vár a Fekete - tengerre, a bolgár tengerparton szántana végig.
Nyilván nem lesz, az ICON időnként vár oda hurrikánt, egyedüli modellként.
Nyilván nem lesz, az ICON időnként vár oda hurrikánt, egyedüli modellként.


Ez sem sűrűn látható műholdkép, amelyen két trópusi vihar támadja Hawaiit.
Kevésbé pontosan két hurrikán, mivel egyik még most hurrikán, a másik hamarosan hurrikán lesz.
Kevésbé pontosan két hurrikán, mivel egyik még most hurrikán, a másik hamarosan hurrikán lesz.

Az Emilia trópusi vihar (balra/lent) "megkajálta" a Fabio trópusi vihart (jobbra/fent):

Akkor még nem volt, mostanra viszont igen.
Továbbá:
"This is the earliest Category 5 hurricane observed in the Atlantic basin on record, and only the second Category 5 hurricane to occur in July after Hurricane Emily in 2005"

Továbbá:
"This is the earliest Category 5 hurricane observed in the Atlantic basin on record, and only the second Category 5 hurricane to occur in July after Hurricane Emily in 2005"

Arról a szigetről, ha van ott valaki, onnan lehetne most jó hurrikánszemes képeket csinálni, talán maradt ott valaki.
Pont a szem közepében van a sziget.
Pont a szem közepében van a sziget.

Barbados talán megússza, délről kerüli a herrikén Link
De a sok kis apró sziget utána abban az észak-dél irányú sávban azok kapnak vizet meg szelet rendesen.
De a sok kis apró sziget utána abban az észak-dél irányú sávban azok kapnak vizet meg szelet rendesen.



Na kezdődik a buli, az Atlantiról megy be a karibi térségbe, majd akár a Mexikói-öbölbe is Link
Sőt, lehet, hogy kettő lesz egymás után.
Sőt, lehet, hogy kettő lesz egymás után.
Kész is. Alberto a Mexicoi-öböl nyugat részén szórja a vizet, mint bolond a lisztet.

És még mindig nem. 
Ialy is megcsípte a trópusi ciklon intenzitást tegnap, mindössze az 5. szélességi kör mentén!
Ialy is megcsípte a trópusi ciklon intenzitást tegnap, mindössze az 5. szélességi kör mentén!

Az északi ciklonszezon nem akar beindulni, a déli meg nem akar befejeződni 
Hidaya elég komolyba’ tolja Tanzánia partjainál
Hidaya elég komolyba’ tolja Tanzánia partjainál

Végül a JTWC is megadta neki a Cat 4-et, mielőtt a nyírás és a száraz levegő elkezdte volna "cseszegetni".

Olga szépen kilyukadt Ausztráliától északnyugatra, egyes műholdas becslések már Cat 4-nek adják - mondjuk a JTWC szerint éppen csak Cat 3. 

Igen, a sziget északi felére ment rá, így le is gyengült.
Most majd elmozdul Mauritius felé, kicsit talán visszaerősödik, de aztán vége is lesz.
Most majd elmozdul Mauritius felé, kicsit talán visszaerősödik, de aztán vége is lesz.
Végül Madagaszkár északi csücske kapta, még tegnap, és ezzel valószínűleg vége is a bulinak.





















