Hurrikánok és tájfunok
Hasznos linkek
>> National Hurricane Center>> Joint Typhoon Warning Center
>> Weather Underground
>> Tropical Tidbits
A magassági anticiklon elég jó, a tipikus CCKW-minta (na ezt magyarítsd, Zivi
) is, de valamiért csak a GFS veszi ezt észre a következő napokra. Ahogy nézem, a többi modell inkább a szárazfölddel - illetve a nagyobb partmenti nyírással - való kölcsönhatás miatt nem durrantja be. Pedig a körülmények még Ian után is kedvezőek.

Az operatívok közül talán most is mintha a GFS orrantott volna meg valamit
Persze azon sem fejlődik tovább, de majd ezt is meglássuk

Persze azon sem fejlődik tovább, de majd ezt is meglássuk
Na, ez a kis onda tropical szinte ugyanúgy és ugyanott kezdi, mint az embrió-Ian
Sőt a forgatókönyvek is hasonlóan alakulnak; magyarul gyengécske ciklont várnak belőle, már ha egyáltalán várnak valamit
Aztán meglássuk, hogy ez a rendszer is kioszt-e pár pofont 
Szemre amúgy jól néz ki, főleg a meglehetősen egészségesnek tűnő poleward outflow-val
Szemre amúgy jól néz ki, főleg a meglehetősen egészségesnek tűnő poleward outflow-val

Az meg külön kiemelendő, hogy az utóbbi évek leggyatrább tölcsér előréje volt, az utolsó pillanatig a nyugati tolódás favorizálták, mert az igen király GFS azt erőltette.
Az, hogy ez nem kaptam meg a CAT5-t, azaz NHC szégyene, gondolom a repülőben is szidták a céget.
Látom azért olvassák a fiúk a MetNet fórumot, viszont így előbb kellett volna szólnom, hogy már az elején rögtön arra menjenek. 
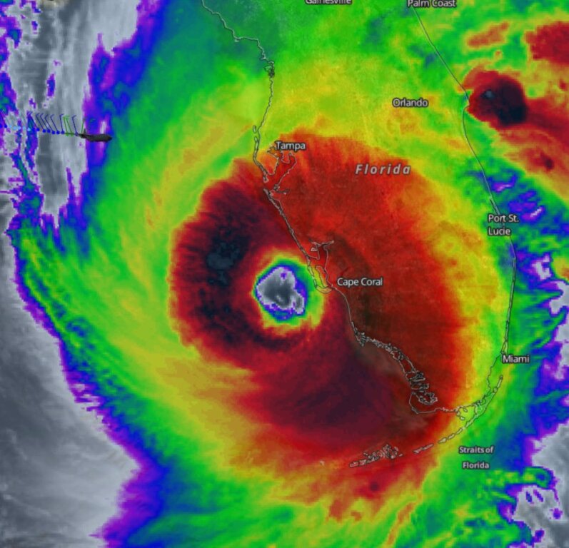
Szerintem 15 UTC körül megvolt a Cat 5, most viszont már gyengülget, de persze ez még nem igazán érezhető "odalent".
Szerintem 15 UTC körül megvolt a Cat 5, most viszont már gyengülget, de persze ez még nem igazán érezhető "odalent".

Szép kis vihardagály: Link
Amúgy ez lehet hogy csak az én pervezitásom, de nálam bakancslistán van átélni egy hurrikánt.
Saját bőrön tapasztalni az elemi erőket, persze viszonylag tisztes távolságból.
Amúgy ez lehet hogy csak az én pervezitásom, de nálam bakancslistán van átélni egy hurrikánt.
Mondjuk ennek így nem sok értelme volt, hogy mennek egyet oda-vissza a szemben, azt hittem legalább kinéznek a nyugati szemfalba is.
17:12:30Z 107.0 knots (~ 123.1 mph) Category Three Hurricane
lol

Elkéstek...
lol
Elkéstek...
Valamelyik Twitter-es posztban írták is a korábbi Recon-osok, hogy intenzív turbulencia meg jégeső is volt a szemfalban, és elég sokat süllyedtek az átrepüléskor. Ilyen előzmények után egyébként respect azoknak, akik most úton vannak.
Hát egy darabig lesz flexelés, mert ez olyan lassan megy befelé és döglik meg, hogy öröm lesz nézni...
Most nem adják be, tényleg idióták...felhőtető T is esni kezdett újra.
Pedig volt amúgy egy ilyen is, ez alapján is bőven adható lenne szerintem. Link
Így is elég passzentos, ahogy néztem az ECM-et 12 órával később jön, akkor már gázosabb lenne ott is, ahol most van.
Csak akkor még úgy nézett ki, hogy Florida északnyugati csücskét sem biztos, hogy érinti, és ha úgy észak felé ment volna, akkor szét is kapta volna a nyírás.
Ian hurrikán már 4- es kategóriát elérte 249 km/h szélsebességget közel az 5 - höz.
Partra éréskor már gyengülni fog valószínűleg 3 - mas lesz. De a fő veszélyforrás a szél által keltett hullámok amik 8-10 métert is elérhetik. Illetve mivel le fog lassulni a mozgása így több helyen akár 700 mm eső is hullhat. Tudni kell hogy Floridába vannak helyek ahol évek óta sok a csapadék így nagyon nem hiányzik ez az eső. Biztos sokat fogunk még róla hallani, mert 2-3 napig vendég is marad.
Partra éréskor már gyengülni fog valószínűleg 3 - mas lesz. De a fő veszélyforrás a szél által keltett hullámok amik 8-10 métert is elérhetik. Illetve mivel le fog lassulni a mozgása így több helyen akár 700 mm eső is hullhat. Tudni kell hogy Floridába vannak helyek ahol évek óta sok a csapadék így nagyon nem hiányzik ez az eső. Biztos sokat fogunk még róla hallani, mert 2-3 napig vendég is marad.











