Hurrikánok és tájfunok
Hasznos linkek
>> National Hurricane Center>> Joint Typhoon Warning Center
>> Weather Underground
>> Tropical Tidbits
Azért elég csinike lett végül délután, az alacsonyszintű központ is szépen bemászkált a konvekció alá. 
Kár, hogy a száraz levegő és a nyírás már kezdi cseszegetni megint, mert most megy el Ciprus felől, még tudott volna kicsit erősödni.
Kár, hogy a száraz levegő és a nyírás már kezdi cseszegetni megint, mert most megy el Ciprus felől, még tudott volna kicsit erősödni.


A biztató kezdés után túl sok minden nem lett szegénykéből, de azért próbálkozgat, egy TD-nek talán elmegy. 


Érdekes a dolog, mert a modellek szerint ez a kis pörgentyű szerdáig ott fog egyhelyben állni a tenger közepén, a lehető legmelegebb víz és a legoptimálisabb helyen.
Azért a légkör gondoskodik róla, hogy most, az atlanti hurrikánszezon végével is legyen mit nézni. 
A radaron az utolsó képkockáknál látszik a Krétától alig keletre forgó ciklonközpont is.
A radaron az utolsó képkockáknál látszik a Krétától alig keletre forgó ciklonközpont is.


Jaja, nehogy meglepetés legyen belőle Link
Rohadt jó ahogy szívja be a gomolyokat a szárazföld felől délkeletről, majd azok a tenger fölé érve megszűnnek!
Látványos cucc!
Rohadt jó ahogy szívja be a gomolyokat a szárazföld felől délkeletről, majd azok a tenger fölé érve megszűnnek!
Látványos cucc!
Csóri Karcsi…
Teljesen dobozba van zárva; északról-keletről egy (száraz) hidegfront, a többi meg szárazföld. Ahhoz képest nem is rossz, amit kihoz a helyzetből 

Hát északabbra nem sok keskenyebb szárazföld van (spoiler: semennyi).

És ott ment át, ahol a legszélesebb a szárazföld, ha északabbra megy át vagy délebbre, akkor mindenhol keskenyebb lett volna szárazföld, erősebb maradt volna!
Ahogy megy át a Csendes-óceánra, a víz feletti része rendben rotyog.
Ahogy megy át a Csendes-óceánra, a víz feletti része rendben rotyog.
50 csomós (~90 km/h) szelet mért a recon, vagyis még nem érte el a hurrikán besorolásához szükséges értéket.
A képen azok a kis színesek a szélzászlók, a színek alapján a skaláról lehet leolvasni, a számok meg a légnyomást mutatják.
Hamarosan hurrikán lesz.
A képen azok a kis színesek a szélzászlók, a színek alapján a skaláról lehet leolvasni, a számok meg a légnyomást mutatják.
Hamarosan hurrikán lesz.
Egyelőre nem valami híres, főleg úgy, hogy a nagy része szárazföld felett van. Viszont Venezuelában (kiemelten a Caracasi agglomerációban) nagyon komoly áradásokat, fölcsuszamlásokat okoz.

Nézegetem már pár napja, de engem nem győzött meg. De legalább a P01-es ta hosszútávon már szépen beadta. 

Most már a többi modell is "adja", viszont egyre kevésbé valószínű akár csak egy kisebb mértékű felkanyarodás is (már csak azért is, mert a NAVGEM az egyetlen ami még érdemben számol ilyen lehetőséggel Link
). Sőt, az ECM-nél és az ICON-nál az EPAC crossover verzió is előkerült már.
Egyem azt a kis alacsonyszintű örvényt, ami a nagy zivatartömb előtt "szalad", attól ÉNy-ra. 

Ja igen, valóban, hisz magassági hidegörvény, benne van a nevében
Mert az egy magassági hidegörvény és mint ilyen, inkább barotróp, nem kedvez a mélykonvekciónak
Persze ez kissé összetettebb (pl betekert egy jóadag száraz levegőt is), de kb.
Az a kis pörgentyű ott nagyon komoly, mindenféle komolyabb berobbanás nélkül pörög egész jó sebességgel Link
Klóz ináf
Pedig biztos a japánoknak is megvan erre a szakkifejezésük
Én konvekció-kikupáló Kelvin-hullámnak szoktam hívni, az olyan jól hangzik, meg hasonlít az angolra. 
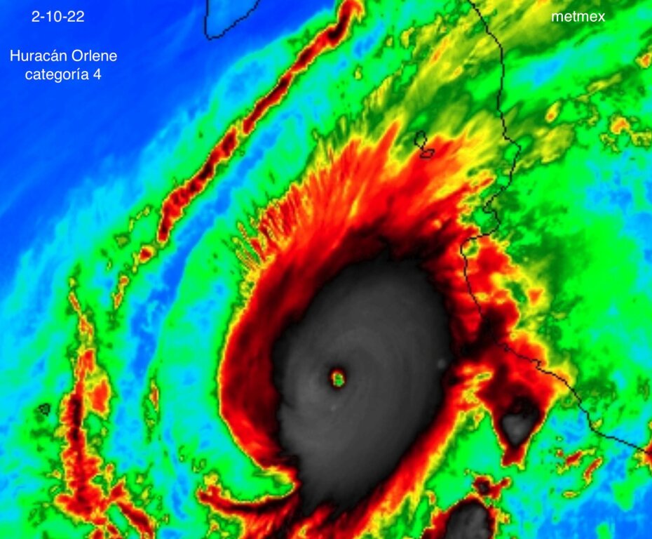
Orlene-t elég gyorsan megette a nyírás meg talán a tőle északra berobbant heves zivatartömb is, a friss Recon alapján már inkább csak erős 2-es. Kár, hogy éjjel nem ment, kíváncsi lettem volna a tényleges csúcsintenzitására (a műholdas becslések ellenére azért nem vagyok benne biztos, hogy megvolt a Cat 4).
Orlene-t elég gyorsan megette a nyírás meg talán a tőle északra berobbant heves zivatartömb is, a friss Recon alapján már inkább csak erős 2-es. Kár, hogy éjjel nem ment, kíváncsi lettem volna a tényleges csúcsintenzitására (a műholdas becslések ellenére azért nem vagyok benne biztos, hogy megvolt a Cat 4).
A magassági anticiklon elég jó, a tipikus CCKW-minta (na ezt magyarítsd, Zivi
) is, de valamiért csak a GFS veszi ezt észre a következő napokra. Ahogy nézem, a többi modell inkább a szárazfölddel - illetve a nagyobb partmenti nyírással - való kölcsönhatás miatt nem durrantja be. Pedig a körülmények még Ian után is kedvezőek.

Az operatívok közül talán most is mintha a GFS orrantott volna meg valamit
Persze azon sem fejlődik tovább, de majd ezt is meglássuk

Persze azon sem fejlődik tovább, de majd ezt is meglássuk
Na, ez a kis onda tropical szinte ugyanúgy és ugyanott kezdi, mint az embrió-Ian
Sőt a forgatókönyvek is hasonlóan alakulnak; magyarul gyengécske ciklont várnak belőle, már ha egyáltalán várnak valamit
Aztán meglássuk, hogy ez a rendszer is kioszt-e pár pofont 
Szemre amúgy jól néz ki, főleg a meglehetősen egészségesnek tűnő poleward outflow-val
Szemre amúgy jól néz ki, főleg a meglehetősen egészségesnek tűnő poleward outflow-val



















