Hurrikánok és tájfunok
Hasznos linkek
>> National Hurricane Center>> Joint Typhoon Warning Center
>> Weather Underground
>> Tropical Tidbits
Legyetek kedvesek bemásolni azt az előrejelzési oldalt, ami mutatni szokta a hurrikánok útvonalát, és közben jelezve, hogy hányasnak várják őket!
Köszönöm!
Köszönöm!
Harold partot ért Texasban, és épp abban az időben kezdett szervezettebb lenni, ha lett volna még 1-2 napja, valószínűleg hurrikán lehetett volna belőle.


Sőt, ott van még a 90L is, ami ígéretes is lehet (a 98-as szinte tuti fishstorm LESZ
), szóval…

No de vajh mi lesz a 99L-lel?! Most éppen csak TD-re szavaz az NHC, de a modellek szórnak, MAKI

Hilary jól meg fogja öntözni a Kaliforniai - félsziget félsivatagi vidékét.
Eleinte az ECM távolabb vitte a szárazföldtől, most már mintha közelebb vinné a félszigethez.
Van ahova 300 mm-t vár, ez a mennyiség ott 2 évi csapadék.
Eleinte az ECM távolabb vitte a szárazföldtől, most már mintha közelebb vinné a félszigethez.
Van ahova 300 mm-t vár, ez a mennyiség ott 2 évi csapadék.
A következő csendes-óceáni hurrikán, Fernanda sem sokáig vacakolt a 4-essé erősödéssel (tegnap ilyenkor még csak trópusi vihar volt). 

Aztán DNy-ra fordul és végigmegy az Indiai-óceánon is. Partot ér az Arab-félszigeten, és ott ugyan szétoszlik, de a maradványa pikk-pakk erőre kap a 28-29 °C-os Földközi-tenger felett Ciprustól délre, és újra Cat 3-ként éri el Krétát délkeletről.
Majd Szamoánál beerősödik cat5-re
A loop után meg Fudzsivarázik egyet Lan-nal
Mondjuk már csak Cat 2, azért szebb lett volna, ha majorként megy végig, de ne legyünk telhetetlenek.
Ez nem az, hanem a Lan tájfun. 
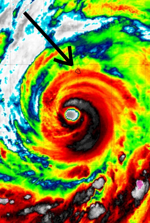
Dora most egy kicsit szervezetlenebb lett, de már nyílik ki ismét a szeme lassan. Egy képen a kettő ciklon:
Dora most egy kicsit szervezetlenebb lett, de már nyílik ki ismét a szeme lassan. Egy képen a kettő ciklon:

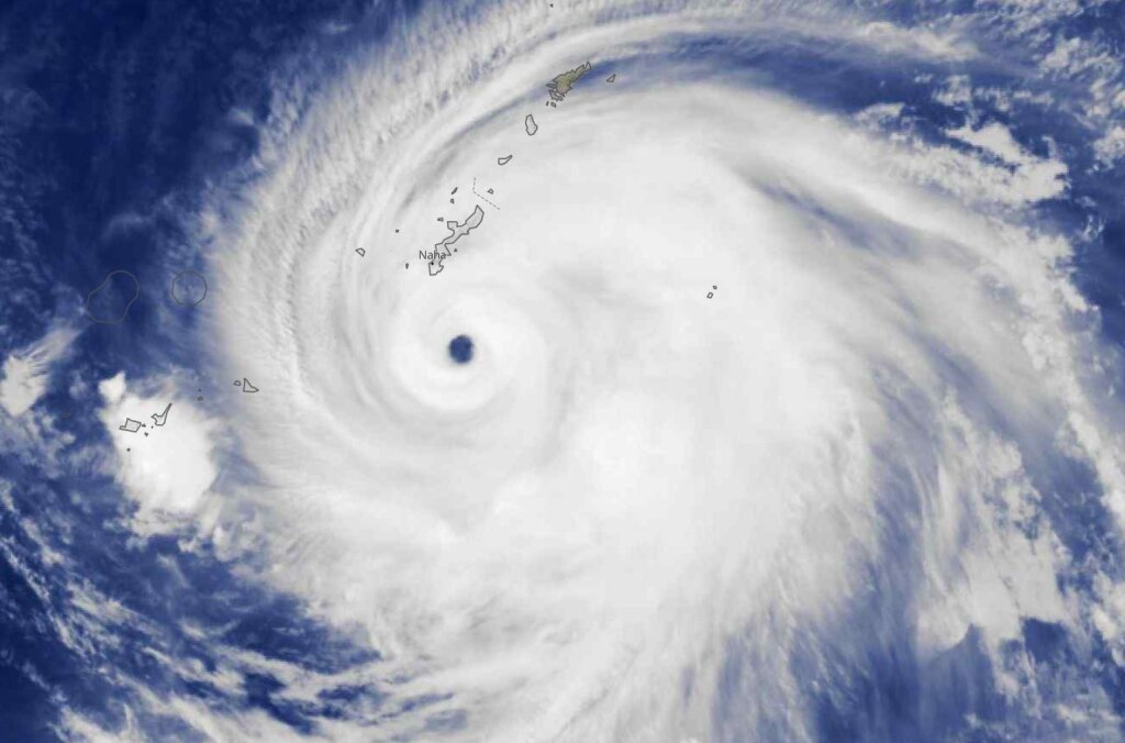
Dórika továbbra is szépen elkarikázgat a Csendes-óceánon, egy átmeneti gyengülést követően újra 4-esként. Lassan átér a középső régióba, sőt, úgy néz ki, hogy a nyugatit is elérheti majd, így akár még tájfun is lehet belőle. 

Egy barátom Japánban/Okinawán nyaralt, ma indult volna haza, és délelőtt írt, miszerint nem valószínű, hogy jövő hét eleje előtt hazaér. Minden repteret lezártak.
Ez a kis konvektív újraszerveződés azért megnyomta a szelet is, megint közepes TS lett 45-50 csomós széllel a friss Recon mérések alapján.

Igen, még lehet, hogy éppen gyenge TS lesz akkor, de sok vizet már valószínűleg nem fog zavarni.
Szépen legyűrte a nyírást. Sajnos a száraz levegővel valószínűleg ő sem fog tudni megküzdeni
Mondjuk csóri Don-nak még ennyi sem jutott. Ő már kezdettől halmozottan kapta a kedvezőtlen körülményeket az Atlantin.
Mondjuk cserében elkavaroghat ott még jó sokáig, így ha esetleg kibírja azt az 1 hét SAL-t (Saharan Air Layer), akár még jobbra is fordulhat a sorsa.

Mondjuk csóri Don-nak még ennyi sem jutott. Ő már kezdettől halmozottan kapta a kedvezőtlen körülményeket az Atlantin.

Mondjuk cserében elkavaroghat ott még jó sokáig, így ha esetleg kibírja azt az 1 hét SAL-t (Saharan Air Layer), akár még jobbra is fordulhat a sorsa.
Az EPAC-ot már lelőtted, így a többi:
PHT: Potential Hawaiian Treat, avagy potenciálisan Hawaii-t veszélyeztető rendszer)
GHS: Great Hawaiian Shear, avagy a Hawaii környékén jellegzetesen fellépő nagyobb szélnyírású zóna
Én egyébként sokszor pont az interakció reményében lövök el ilyeneket, hogy ne csak a műholdképeket mutogassuk egymásnak Nano-val.
PHT: Potential Hawaiian Treat, avagy potenciálisan Hawaii-t veszélyeztető rendszer)
GHS: Great Hawaiian Shear, avagy a Hawaii környékén jellegzetesen fellépő nagyobb szélnyírású zóna
Én egyébként sokszor pont az interakció reményében lövök el ilyeneket, hogy ne csak a műholdképeket mutogassuk egymásnak Nano-val.
Nem nagyon van időm belemélyedni, inkább tanulok profiktól 
Persze, hogy van rá igény, aztán ha nem lesz tökéletes, majd kiegészítem
Ejj, ha még itt hullámozna a Pannon-tenger...
Persze, hogy van rá igény, aztán ha nem lesz tökéletes, majd kiegészítem
Ejj, ha még itt hullámozna a Pannon-tenger...



Egyem a szíved, legalább magad is belemélyedsz és lehet, hogy olyat is találsz, ami neküno elkerülte a figyelmünket
Amúgy ezt most zivi tényleg eltúlozta kicsit, de a szakmai fórumokon tényleg így beszélnek és az átszivárog ide is. Továbbá én pl mindig kirakom a feloldást az első pár alkalommal, hogy rá lehessen keresni. Valljuk be, hogy nem sok kedve van az embernek ezerháromszázhuszonegyedjére beírni, hogy a “Csendes-óceán keleti medencéjében”, hanem inkább használsa az “EPAC”-ot. Vagy VMKR-t, vagy Cb-t
Amúgy majd összeállítok egy “szótárt” ha van rá igény
Jellemzően úgy írogattok ide, hogy én sokszor egy kukkot sem értek belőle.
Leírjátok hogy hurrikán vagy tájfun vagy akármi van, de hogy hol, azt ritkán.
Aztán kezdhetem keresgetni, hogy hol a csudában van!
Lehetnétek néha informálisabbak, persze tudom én, hogy jó menőzni a szakszavakkal, meg bulis hogy csak "Ti" értitek, miről és kiről és hol van szó, de nem csak "Ti" olvassátok, hanem "mi" is.
Leírjátok hogy hurrikán vagy tájfun vagy akármi van, de hogy hol, azt ritkán.
Aztán kezdhetem keresgetni, hogy hol a csudában van!
Lehetnétek néha informálisabbak, persze tudom én, hogy jó menőzni a szakszavakkal, meg bulis hogy csak "Ti" értitek, miről és kiről és hol van szó, de nem csak "Ti" olvassátok, hanem "mi" is.
Az EPAC-on lassan meglehet az első PHT, de persze kérdés, hogy mit tud majd kezdetni a GHS-rel.
Na kezeket fel, aki értette.
Na kezeket fel, aki értette.
















