Hurrikánok és tájfunok
Hasznos linkek
>> National Hurricane Center>> Joint Typhoon Warning Center
>> Weather Underground
>> Tropical Tidbits
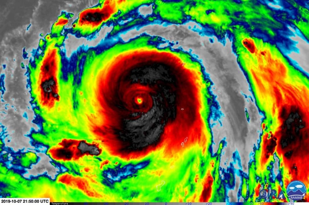
Végzett az EWRC-vel. Pinhole eye ment, a büdös nagy fánk-szerű CMG jött. A Dvorak-becslés egyből be is szaladt 900 hPa alá, 156 csomós szél mellett 

Aztak*rva! Mi az a sok rózsaszín?! -90-es felhőtető?! (szer.: ja, csak -82 körül) 
Lehet, hogy történelmet ír ez a búgócsiga?
Lehet, hogy történelmet ír ez a búgócsiga?
Na de mi ez a miniszem?
Aki abba bekerül (az már kész csoda ha élve megússza) az elmondhatja majd, hogy forog körülöttem a világ...
De még milyen sebességgel!
Aki abba bekerül (az már kész csoda ha élve megússza) az elmondhatja majd, hogy forog körülöttem a világ...
Mit látni előre a hétvégével kapcsolatban?
Elkaphatja valóban Japánt?Történetesen mondjuk Suzuka környékét is akár?
Elkaphatja valóban Japánt?Történetesen mondjuk Suzuka környékét is akár?
Lyéjzuss Máriám!
TY 1919 (Hagibis)
Issued at 09:45 UTC, 7 October 2019
Scale Large
Intensity Violent
Center position N15°55' (15.9°)
E147°20' (147.3°)
Direction and speed of movement WNW 30 km/h (15 kt)
Central pressure 915 hPa
15 óra alatt -60 hPa
Beteg!
TY 1919 (Hagibis)
Issued at 09:45 UTC, 7 October 2019
Scale Large
Intensity Violent
Center position N15°55' (15.9°)
E147°20' (147.3°)
Direction and speed of movement WNW 30 km/h (15 kt)
Central pressure 915 hPa
15 óra alatt -60 hPa
Beteg!
RoHadtul gyorsan erősödik. Éjfélre már 5-ös erősségű lehet.
"It continued rapid strengthening, with JTWC 00h UTC warning forecasting 222 km/h peak winds by 12h UTC, Oct 7th and 250 km/h sustained peak winds, gusting to 306 km/h by 00h UTC on October 8th." JTWC
"It continued rapid strengthening, with JTWC 00h UTC warning forecasting 222 km/h peak winds by 12h UTC, Oct 7th and 250 km/h sustained peak winds, gusting to 306 km/h by 00h UTC on October 8th." JTWC
Csinoska a feeder band-je is a nyugati oldalán. Ha ebből nem lesz 5-ös, akkor semmiből.
Ez dúúrva:
TROPICAL STORM 20W 6:00UTC 06October2019
UW-CIMSS Experimental Vertical Shear and TC Intensity Trend Estimates
Current Conditions (from JTWC) :
Latitude: 15:08:02 N
Longitude: 153:54:31 E
Intensity (MSLP): 991.0 hPa
Max Pot Int (MPI,from Emanuel) : 858.0 hPa
MPI differential (MSLP-MPI) : 133.0 hPa
CIMSS Vertical Shear Magnitude : 2.8 m/s ( 5.4 kts)
Direction : 53.0 deg
Outlook for TC Intensification Based on Current Env. Shear Values and MPI Differential Forecast Interval :
6hr 12hr 18hr 24hr
VF VF VF VF
(VF-very favourable)
Csoda-é, hogy már tájfun is lett?!
TROPICAL STORM 20W 6:00UTC 06October2019
UW-CIMSS Experimental Vertical Shear and TC Intensity Trend Estimates
Current Conditions (from JTWC) :
Latitude: 15:08:02 N
Longitude: 153:54:31 E
Intensity (MSLP): 991.0 hPa
Max Pot Int (MPI,from Emanuel) : 858.0 hPa
MPI differential (MSLP-MPI) : 133.0 hPa
CIMSS Vertical Shear Magnitude : 2.8 m/s ( 5.4 kts)
Direction : 53.0 deg
Outlook for TC Intensification Based on Current Env. Shear Values and MPI Differential Forecast Interval :
6hr 12hr 18hr 24hr
VF VF VF VF
(VF-very favourable)
Csoda-é, hogy már tájfun is lett?!
WTPN21 PGTW 050230
MSGID/GENADMIN/JOINT TYPHOON WRNCEN PEARL HARBOR HI//
SUBJ/TROPICAL CYCLONE FORMATION ALERT (INVEST 93W)//
1. FORMATION OF A SIGNIFICANT TROPICAL CYCLONE IS POSSIBLE WITHIN
150 NM EITHER SIDE OF A LINE FROM 16.3N 163.6E TO 17.0N 155.3E
WITHIN THE NEXT 12 TO 24 HOURS
...
GLOBAL MODELS ARE IN GOOD AGREEMENT THAT 93W
WILL CONSOLIDATE AND STRENGTHEN AS IT TRACKS WESTWARD. THERE IS HIGH
POTENTIAL FOR RAPID INTENSIFICATION ASSOCIATED WITH THIS SYSTEM.
Hát itt gyorsan eszkalálódni fog a helyzet
MSGID/GENADMIN/JOINT TYPHOON WRNCEN PEARL HARBOR HI//
SUBJ/TROPICAL CYCLONE FORMATION ALERT (INVEST 93W)//
1. FORMATION OF A SIGNIFICANT TROPICAL CYCLONE IS POSSIBLE WITHIN
150 NM EITHER SIDE OF A LINE FROM 16.3N 163.6E TO 17.0N 155.3E
WITHIN THE NEXT 12 TO 24 HOURS
...
GLOBAL MODELS ARE IN GOOD AGREEMENT THAT 93W
WILL CONSOLIDATE AND STRENGTHEN AS IT TRACKS WESTWARD. THERE IS HIGH
POTENTIAL FOR RAPID INTENSIFICATION ASSOCIATED WITH THIS SYSTEM.
Hát itt gyorsan eszkalálódni fog a helyzet

Valahol... 
Amúgy az Atlantin Lorenzo mögött jól megdeglett a szezon. A modellek alapján esetleg valami hibrid szubtrópusi/trópusi próbálkozás lehet előbb az Azori-szigetektől délnyugatra, majd Bermudától északra, de ezen kívül 240 órán belül nem látszik semmi érdemleges.
Amúgy az Atlantin Lorenzo mögött jól megdeglett a szezon. A modellek alapján esetleg valami hibrid szubtrópusi/trópusi próbálkozás lehet előbb az Azori-szigetektől délnyugatra, majd Bermudától északra, de ezen kívül 240 órán belül nem látszik semmi érdemleges.
A radar alapján az ÉK-i területek kapták a legtöbb csapit (főleg Yilan megyében az a torlasztás nem gyenge).
Top100-as lista (3 nap): Link
Top100-as lista (3 nap): Link
Nagyon köszönöm, Nano.
Közben az Azoriról kapott legfrissebb infók alapján a helyiek 1-es hurrikánként várják az érkezést a nyugati szigeteken (Flores, Corvo), másutt trópusi vihar erősségének megfelelő szélvihart jeleznek előre.
Közben az Azoriról kapott legfrissebb infók alapján a helyiek 1-es hurrikánként várják az érkezést a nyugati szigeteken (Flores, Corvo), másutt trópusi vihar erősségének megfelelő szélvihart jeleznek előre.
Be tudná nekem linkelni azt a térképet, ami az Atlanti-óceánon 5-ös erősségűvé fejlődött hurrikánok pályáját mutatja be?
Ehhez hasonló, de látványosabb térképet már láttam, de olyan kellene, amin Európa is rajta van:
Link
köszi
Ehhez hasonló, de látványosabb térképet már láttam, de olyan kellene, amin Európa is rajta van:
Link
köszi
"Lorenzo is a large hurricane, with hurricane-force winds extending outward up to 80 miles (130 km) from the center" - NHC
Szép nagyra nőtt!!! A központ körüli 260km átmérőjű körben is még hurrikán erősségű szelet produkál
Szép nagyra nőtt!!! A központ körüli 260km átmérőjű körben is még hurrikán erősségű szelet produkál
Szopja a száraz levegőt északról rendesen, de így is tájfun lett
























