Hurrikánok és tájfunok
Hasznos linkek
>> National Hurricane Center>> Joint Typhoon Warning Center
>> Weather Underground
>> Tropical Tidbits
Még egy-két hajós cucc, az elsőt találtam, a másodikat csináltam. 
Utóbbiból majd talán lesz térképes verzió is vasárnap.
Utóbbiból majd talán lesz térképes verzió is vasárnap.


A magja szinte kizárt, az egyrészt nagyon kicsi, másrészt a szárazföld (és főleg egy hegyvidék) felett gyorsan feloszlik. A külső csapadéksávok/frontmaradványok, illetve maga a ciklon rendes (frontos) mediterrán ciklonná visszaalakulva viszont bármikor, ahogy eddig is, ahhoz nem kell melegebb tenger sem.
- - - - - -
Apollo kicsit jobban megszaladt az éjjel, mint ahogy a modellek várták, 07 és 11 UTC-kor is volt egy-egy 104 km/h-s (56 csomó) hajós mérés a déli oldalán (két különböző hajó által), az előbbi hajó pedig 999,4 hPa-os, az utóbbi 998,7 hPa-os nyomást mért. Az ASCAT-B műholdas szenzor pedig 85 km/h (45 csomó) körüli szeleket mért (sötétebb lila szélzászlók). Mindezek alapján az intenzitása most 100-110 km/h (55-60 csomó) között lehet 995-998 hPa-os központi légnyomással.
- - - - - -
Apollo kicsit jobban megszaladt az éjjel, mint ahogy a modellek várták, 07 és 11 UTC-kor is volt egy-egy 104 km/h-s (56 csomó) hajós mérés a déli oldalán (két különböző hajó által), az előbbi hajó pedig 999,4 hPa-os, az utóbbi 998,7 hPa-os nyomást mért. Az ASCAT-B műholdas szenzor pedig 85 km/h (45 csomó) körüli szeleket mért (sötétebb lila szélzászlók). Mindezek alapján az intenzitása most 100-110 km/h (55-60 csomó) között lehet 995-998 hPa-os központi légnyomással.

Gyönyörű!
Bocs az Offért, nem értek a hurrikánokhoz (sem) , ezért lehet butaságot kérdezek. Van arra esély a közeljövőben, hogy az egyre (?) melegedő tengerek miatt Magyarországra is eljusson egy ilyen medikán csapadékrendszere? Vagy ahogy kiér a szárazföldre, folyamatosan gyengül és hamarosan feloszlik?!
Bocs az Offért, nem értek a hurrikánokhoz (sem) , ezért lehet butaságot kérdezek. Van arra esély a közeljövőben, hogy az egyre (?) melegedő tengerek miatt Magyarországra is eljusson egy ilyen medikán csapadékrendszere? Vagy ahogy kiér a szárazföldre, folyamatosan gyengül és hamarosan feloszlik?!
Közepes-erős TS-nek adja a legtöbb modell, de teljesen azért nem lehet kizárni hurrikán erősséget. mondjuk az más kérdés, hogy ha el is éri, könnyen lehet, hogy nem fog kiderülni mérés híján, ha tényleg Líbia felé megy majd.
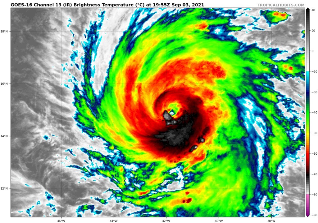
Most indul az igazi buli (kicsit gyorsabban, mint ahogy a legutóbbi modellfutások várták, viszont északabbra is). 

Valóban szép kis "bummot" produkált napnyugta előtt, mostanra viszont az erősödő nyugatias irányú nyírás kezdi szétszedni, ahogy várható volt. Ha minden igaz, csütörtökre virradóan kezdhet majd határozottabban újraszerveződni.


Lassan már talán elmegy egy szubtrópusi depressziónak. 
A modellek viszont nehezen tudnak vele mit kezdeni. A GFS-en kívül sokáig nem is nagyon vártak belőle semmit, aztán reggel hirtelen szinte mindegyik beadta közepes-erős TS-nek a Földköz-tenger középső medencéjében, később Olaszország (ICON, UKMO) vagy Líbia (GFS, GEM) felé továbbhelyeződve. A friss modellek többsége viszont a megerősödési szakaszt is jóval nyugatabbra, Szicília/Tunézia környékére tolta, így jóval kevesebb ideig lenne a nyílt víz felett, és nem is tudna annyira megerősödni, inkább csak gyenge TS lenne (a GFS-nél pl. a reggeli líbiai partok helyett most a Tirrén-tengeren van, és akkor közel 1-es hurrikánnak adta, most éppen csak gyenge trópusi viharnak). A GEM viszont egyelőre kitart a reggeli verzió mellett.
A modellek viszont nehezen tudnak vele mit kezdeni. A GFS-en kívül sokáig nem is nagyon vártak belőle semmit, aztán reggel hirtelen szinte mindegyik beadta közepes-erős TS-nek a Földköz-tenger középső medencéjében, később Olaszország (ICON, UKMO) vagy Líbia (GFS, GEM) felé továbbhelyeződve. A friss modellek többsége viszont a megerősödési szakaszt is jóval nyugatabbra, Szicília/Tunézia környékére tolta, így jóval kevesebb ideig lenne a nyílt víz felett, és nem is tudna annyira megerősödni, inkább csak gyenge TS lenne (a GFS-nél pl. a reggeli líbiai partok helyett most a Tirrén-tengeren van, és akkor közel 1-es hurrikánnak adta, most éppen csak gyenge trópusi viharnak). A GEM viszont egyelőre kitart a reggeli verzió mellett.


Közben Sam is elég szépen elvan még, de már látszik az a zivataros sáv a keleti-délkeleti oldalán, ami majd a leendő hidegfrontja lesz.

Egy érdekes, ritka trópusi ciklon tevékenykedik az arab térségben, ami még Indiától keletre, a Bengáli-öböl felett alakult ki Gulab néven szeptember 24-én, és nyugat, időnként északnyugat felé mozogva keresztülhaladt Indián, miközben legyengült. Az Arab-tenger felett azonban újraszerveződött és ismét trópusi ciklon lett, ekkor már a Shaheen nevet kapva. Tegnap a Saffir-Simpson hurrikánskálának megfelelő 1-es erősségű ciklon lett, mára pedig belépett az Ománi-öbölbe, ahol a kedvező légköri viszonyok és az öböl meleg vize miatt várhatóan tovább erősödik, és a partot érés előtt a 2-es kategóriát is elérheti. Délelőtt időnként jól fejlett szem is megjelent már a központjában, de ez mostanra (átmenetileg?) bezáródott. A légörvény és maradványa kiadós esőzéseket okoz Omán északi részén, az Egyesült Arab Emírségekben és Irán partvidéki területein, melyek akár nagyobb károkkal (árvizek, földcsuszamlások) is járhatnak.
Korábban néhány modell még arra is látott esélyt, hogy a ciklon átjut a Perzsa-öböl fölé, ami történelmi lett volna, mivel a műholdas megfigyelések kezdete óta ott még nem detektáltak trópusi ciklont. Mostanra azonban a legvalószínűbb forgatókönyv az lett, hogy az Omán északi részén történő partot érést követően délnyugat felé fordul és a szárazföld felett gyorsan legyengül a ciklon, de a térségben várhatóan még így is ez lesz a valaha legnyugatabbra jutó példány.
Korábban néhány modell még arra is látott esélyt, hogy a ciklon átjut a Perzsa-öböl fölé, ami történelmi lett volna, mivel a műholdas megfigyelések kezdete óta ott még nem detektáltak trópusi ciklont. Mostanra azonban a legvalószínűbb forgatókönyv az lett, hogy az Omán északi részén történő partot érést követően délnyugat felé fordul és a szárazföld felett gyorsan legyengül a ciklon, de a térségben várhatóan még így is ez lesz a valaha legnyugatabbra jutó példány.

Még(?) nem, 4-es 125 csomós (230 km/h-s) széllel. De van rá esély, hogy ma elérje az 5-ös kategóriát. A tegnap esti Recon mérésekben volt egyébként 5-ösnek megfelelő szél a felszín közelében, de valószínűsítik, hogy az csak valami mezoörvény lehetett, illetve a repülési magasságon mért szél sem támogatta még az 5-ös erősséget.
Szépen villámlik egyébként a szemfalban, úgyhogy gyengülni egyelőre nem gyengül, az biztos.
Szépen villámlik egyébként a szemfalban, úgyhogy gyengülni egyelőre nem gyengül, az biztos.

Két szem egy képen, a kettőn meg már összesen négy, és egyébként már a kategóriája is annyi. 


Durva tájfunt várnak a modellek Japán keleti partjai mellett elhaladva, ha kicsit nyugatabbra menne el, akkor Tokióba becsengetne.
Igaz ott már csak 27-28 fokos a víz.
Az Atlanti közepére is kinéz kettő egymás után.
Igaz ott már csak 27-28 fokos a víz.
Az Atlanti közepére is kinéz kettő egymás után.
Nicholas meg egyesként partot ért Texasban. Most írt nővérem, hogy olyan szél van, hogy nem tud aludni (Pearland, TX). A közelben van egy reptér, az adatok: Link
100 km/h-s löketek vannak.
100 km/h-s löketek vannak.

Meg is lett a Cat 2.
A Chanthu tájfun viszont az előző napokban történt némi gyengülés után visszaerősödött a Fülöp-szigetek északkeleti csücskében, most vastagon 5-ös 270-280 km/h-s széllel.

A Chanthu tájfun viszont az előző napokban történt némi gyengülés után visszaerősödött a Fülöp-szigetek északkeleti csücskében, most vastagon 5-ös 270-280 km/h-s széllel.

Az Olaf hurrikán Mexikó mellett, a Kaliforniai-félsziget déli részét érintheti majd, és addig akár megcsípheti a 2-es kategóriát.

Miközben Larry tágra nyílt szemmel ólálkodik az Atlanti-óceánon. Addig a Csendes-óceánon az 5-ös kategoriájú Chanthu szuper tájfun ólálkodik.
Jelenleg a Fülöp-szigetek partjaitól nyugatra található. A légnyomás a középpontjában 921 hpa, 260 km/h állandó szél 320 km/h lökést is mértek benne. Szerencsére a modellek szerint nem veszélyeztett lakott területek mivel úgy tűnnik hogy a Fülöp-szigetek északi része és Tajvan között fog elhaladni majd valamikor 16-án partott ér valahol Kínában.
Érdekes alakja van és nagyon kicsi a szeme:
Jelenleg a Fülöp-szigetek partjaitól nyugatra található. A légnyomás a középpontjában 921 hpa, 260 km/h állandó szél 320 km/h lökést is mértek benne. Szerencsére a modellek szerint nem veszélyeztett lakott területek mivel úgy tűnnik hogy a Fülöp-szigetek északi része és Tajvan között fog elhaladni majd valamikor 16-án partott ér valahol Kínában.
Érdekes alakja van és nagyon kicsi a szeme:

Egyelőre megmaradt 3-asnak, de továbbra is szép nagy szeme van, és már elég gyűrűszerű a struktúrája, nem nagyon vannak külső spirálkarjai.

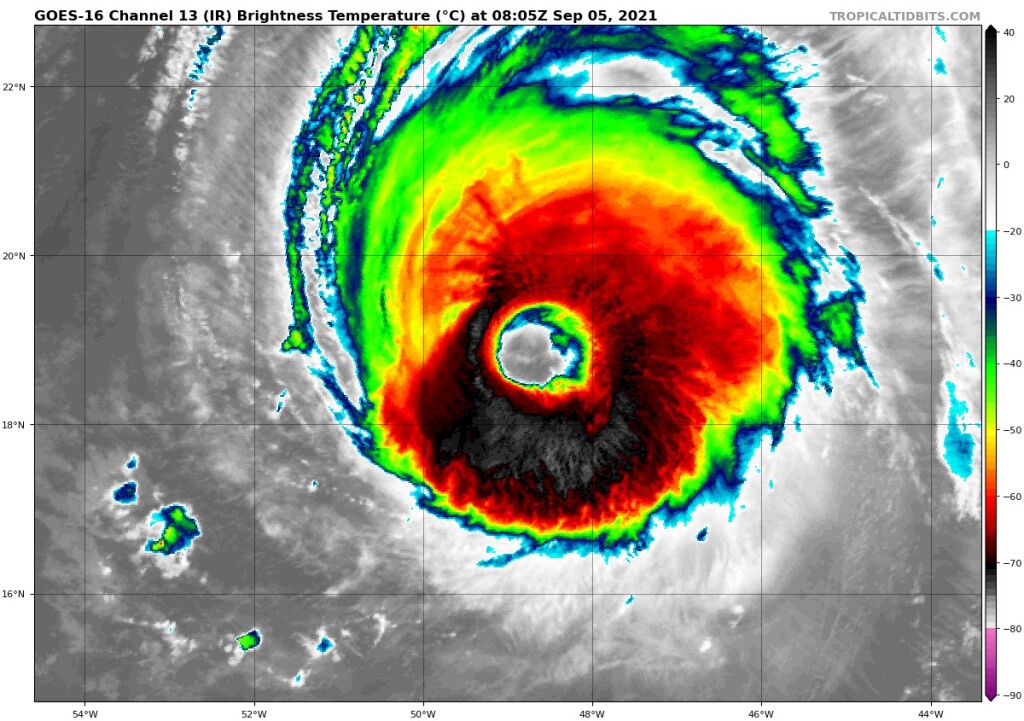
A legfrissebb jelentés szerint "The system has a warm, well-defined eye with a large diameter of around 40 n mi.", azaz közel 75 km az átmérője.
A szemátmérő sok mindentől függ. Már eleve meghatározza az, hogy milyen méretű szem alakul ki elsőre egy ciklonban, ami részben függ a kialakulás folyamatától. Pl. ha egy nagy, összefüggő "zivatarlepényen" /central dense overcast/ belül jön létre, akkor általában kisebb, míg ha kevésbé összefüggő, a központ körül forgó zivatarok olvadnak fokozatosan össze szemfallá, akkor nagyobb szokott lenni, illetve nyilván a ciklon mérete is befolyásolja (nagyobb ciklonoknál gyakran nagyobb a szem is). A másik meghatározó tényező pedig a szemfal-kicserélődési folyamat, amikor egy ciklon átesik egy ilyenen, akkor az új szeme nagyobb lesz, Larry pedig már letudott egyet tegnap.
A szemátmérő sok mindentől függ. Már eleve meghatározza az, hogy milyen méretű szem alakul ki elsőre egy ciklonban, ami részben függ a kialakulás folyamatától. Pl. ha egy nagy, összefüggő "zivatarlepényen" /central dense overcast/ belül jön létre, akkor általában kisebb, míg ha kevésbé összefüggő, a központ körül forgó zivatarok olvadnak fokozatosan össze szemfallá, akkor nagyobb szokott lenni, illetve nyilván a ciklon mérete is befolyásolja (nagyobb ciklonoknál gyakran nagyobb a szem is). A másik meghatározó tényező pedig a szemfal-kicserélődési folyamat, amikor egy ciklon átesik egy ilyenen, akkor az új szeme nagyobb lesz, Larry pedig már letudott egyet tegnap.
Mitől függ a szemméret?
Csak mert baromi nagy szeme van.
Ha egy sziget felett menne el pont a szem, igen látványos lenne alulról.
Hány km átmérőjű lehet a szeme Larrynek?
Csak mert baromi nagy szeme van.
Ha egy sziget felett menne el pont a szem, igen látványos lenne alulról.
Hány km átmérőjű lehet a szeme Larrynek?





















