Hurrikánok és tájfunok
Hasznos linkek
>> National Hurricane Center>> Joint Typhoon Warning Center
>> Weather Underground
>> Tropical Tidbits
Meg és érkezett a karifa alá a kis Phanfone. A ~180 km/h-s széllel meg lettek cibálva a díszek, az tuti

Phanfone elődje milyen szép meztelen vortex volt még hajnalban. Azóta még jobban beindult körülötte a konvekció és lassan TS-ként folytatja majd az útját. Fülöpnek megint készül a kariaji

Furcsa is volt, hogy valami cikkben olvastam, hogy azt írták, nem érint lakott területet, közben a modellek várták hogy gyengülőben partot ér Madagaszkárnál.
Dicsak! Belna ráúszott Madagaszkárra északnyugatról. Hát ez sem egy gyakori eset 
Mindenesetre a 150 km/h-s szél biztos rendezkedik a parton
Mindenesetre a 150 km/h-s szél biztos rendezkedik a parton

Illetve az Indiai-óceán esetében itt is lehet nézelődni (tetszőlegesen nagyítható kattintással, illetve kicsinyíthető fent a mínuszos nagyító ikonnal):Link
Sajnos nincs ilyen univerzális oldal. Fizetős alkalmazások vannak (az sem sok, főleg az Déli-Indiai-óceánt tekintve) vagy rosszabb térbeli és időfelbontással ez: Link
A SIO ciklonok esetében még a MeteoFrance is játszik, ha Reunion is veszélyben van.
A SIO ciklonok esetében még a MeteoFrance is játszik, ha Reunion is veszélyben van.
Durva milyen szabályos, mint egy körfűrészlap!
Adj légyszíves egy linket, amin lehet nézni az Indiai és Csendes-óceánon lévő hurrikánok animációit!
Adj légyszíves egy linket, amin lehet nézni az Indiai és Csendes-óceánon lévő hurrikánok animációit!
Aki igazán érdekes, az a bal szem, Ambali. Valószínűleg közel van a valaha mért leggyorsabb erősödéshez (RI), de a Déli-Indiai óceánon szinte biztos. +185 km/h /1 nap
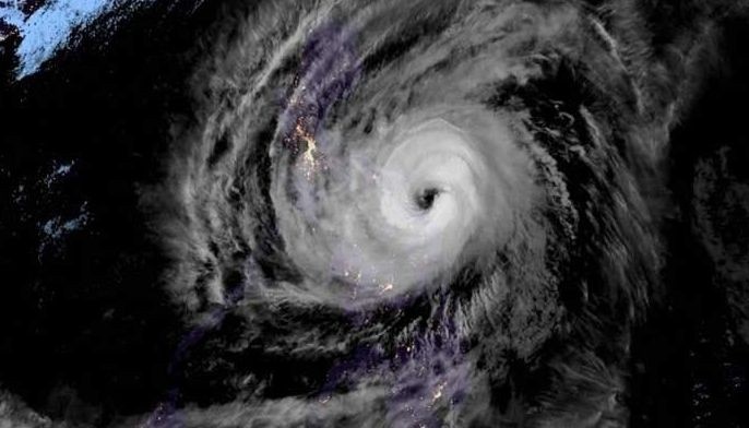
Jelenleg 250 km/h-val tolja, 929 hPa-os középponti minimummal.


Így kell kimaxolni egy partraszállást; bő fél nap alatt cat1-ből cat4 a végére, hogy érezzék a törődést.

A konvekcióra nem lehet panasz 
Viszont a szervezettség még nem az igazi. A nyírás még bekavar (szó szerint) a levesbe. A modellek szerint ez lassan változni fog, így indulhat az RI

Viszont a szervezettség még nem az igazi. A nyírás még bekavar (szó szerint) a levesbe. A modellek szerint ez lassan változni fog, így indulhat az RI
Valóban van az is, de nekem úgy tűnik, hogy az inkább közép- vagy magasabb szintű örvényesség miatt lehet, illetve a zivatarok is elég szervezetlenek. Mondjuk a friss ASCAT szerint van azért egy kis ciklonális örvénylés lent is, meglátjuk, ez elég lesz-e valamire.
Link
Link
Azt látom, tudom, csak mintha valami örvénylő mozgást is vénék felfedezni!
Kammuri kezd ráérezni a dolgokra
Szépen szerveződik és a modellek 60-80% esélyt adnak RI-re (Rapid Intensification)

Ééés megvan a szezon első déli ciklonja is! 
Rita ráadásul nem is kakival gurigázik, hanem rögtön belecsapott a lecsóba. Eleve az erősödését is sokkal lassabbra várták a modellek, de már megvan a cat1 is neki;
01P RITA 191125 0000 11.8S 169.7E SHEM 65 983 (65 csomó~120 km/h, 983 hPa) és ez bizony nem a vége
Link
Rita ráadásul nem is kakival gurigázik, hanem rögtön belecsapott a lecsóba. Eleve az erősödését is sokkal lassabbra várták a modellek, de már megvan a cat1 is neki;
01P RITA 191125 0000 11.8S 169.7E SHEM 65 983 (65 csomó~120 km/h, 983 hPa) és ez bizony nem a vége

Link
A WAPAC nagyon belehúzott így a szezon végére
Pontosabban felvette a szokásos tempót.
Szinte majdnem minden investből ciklon lett az elmúlt hetekben. És már itt is az újabb tájfun-jelölt (vagyis van éppen 2 is).
A 94W-re már ki is ment a risztás: "THE POTENTIAL FOR THE DEVELOPMENT OF A SIGNIFICANT TROPICAL CYCLONE
WITHIN THE NEXT 24 HOURS IS HIGH."
Ez ECM be is durvítja rendesen
Szinte majdnem minden investből ciklon lett az elmúlt hetekben. És már itt is az újabb tájfun-jelölt (vagyis van éppen 2 is).
A 94W-re már ki is ment a risztás: "THE POTENTIAL FOR THE DEVELOPMENT OF A SIGNIFICANT TROPICAL CYCLONE
WITHIN THE NEXT 24 HOURS IS HIGH."

Csodálkoznék, ha Fung-Wong nem lenne tájfun. A legutóbbi jelentés szerint is már 110 km/h-s szél volt benne. De azok a cuki kis forró tornyok most biztos meghajtják

A még a lenti animáción jobb alul látható rendszer közben eléggé kicombosodott és Fung-Wong néven már ő is a Babuyan-sziget felé tart, egyelőre csak trópusi viharként

Kalmegi meg közben eltájfunosodott 
A Babuyan-szigeteki állomás 139 km/h-s szelet mér 167 km/h-s max lökés mellett
A Babuyan-szigeteki állomás 139 km/h-s szelet mér 167 km/h-s max lökés mellett

Dikk Fengshen bedurvult
Nem is nagyon tettem említést róla korábban, mert elég kis szürke egérnek nézett ki, de most egy vargabetűvel változott a forgatókönyv. Már 200 km/h feletti szelet produkál ~950 hPa-os középponti nyomással.

Mondjuk ha 5 fokkal melegebb lenne a víz Link 
21-22 fokos víz nem túl sok, de talán dob rajta valamit!
21-22 fokos víz nem túl sok, de talán dob rajta valamit!



















