Hurrikánok és tájfunok
Hasznos linkek
>> National Hurricane Center>> Joint Typhoon Warning Center
>> Weather Underground
>> Tropical Tidbits
Nem csoda, hogy gyanús, hiszen az pont a szárazföld közepe, ahol nem igen szoktak hurrikánok lenni.
Egyébként annyi "igazság" azért lehet a dologban, hogy 30-án Mozambik-ban partot ért egy ciklon, aminek a maradványa eljutott Botswana térségébe, de az már akkor csak egy sekély ciklonális mező volt a trópusi összeáramlásba ágyazódva (gyakorlatilag olyasmi, mint nálunk a klasszikus, mediterrán ciklon után hátramaradó bárikus mocsár nyáron).
Egyébként annyi "igazság" azért lehet a dologban, hogy 30-án Mozambik-ban partot ért egy ciklon, aminek a maradványa eljutott Botswana térségébe, de az már akkor csak egy sekély ciklonális mező volt a trópusi összeáramlásba ágyazódva (gyakorlatilag olyasmi, mint nálunk a klasszikus, mediterrán ciklon után hátramaradó bárikus mocsár nyáron).
Kérdezni szeretnék, ismerősöm Namíbiában van és a napokban esett 100mm eső ami ritkaság. Azt mondták neki a helyiek hogy Botswanában hurrikán van és annak a széle átlógott.
Nekem ez gyanús indok.
Nekem ez gyanús indok.
Jó kis Fujiwhara-zás lesz a SIO-n, egyelőre nem is nagyon tudják eldönteni a modellek, hogy melyik ciklon marad a domináns utána.
A medike közben partot ért - hogy milyen intenzitással, azt lehet sosem fogjuk megtudni a környékbeli állomáshálózat "kiterjedtsége" és működési rendszere okán, hacsak nem bukkannak majd elő valahol direkt mérések. Sajnos a délelőtti ASCAT mérések közül sem érintette egyik sem a ciklont, a part közelsége miatt pedig az utóbbi órákban már lassanként gyengülgetett, ha esetleg az esti mérések még el is kapták a partot érés előtt/körül.
Tekintve, hogy strukturálisan azért elég fejlett volt, én megkockáztatok egy 55-60 csomós (100-110 km/h-s) maximális intenzitást.
Tekintve, hogy strukturálisan azért elég fejlett volt, én megkockáztatok egy 55-60 csomós (100-110 km/h-s) maximális intenzitást.



Meg is nyomta a szellőt, abban a bő 1 órában több, mint 5 csomót erősödött a két ASCAT mérés szerint (30-35 csomóról 40 csomó köré).


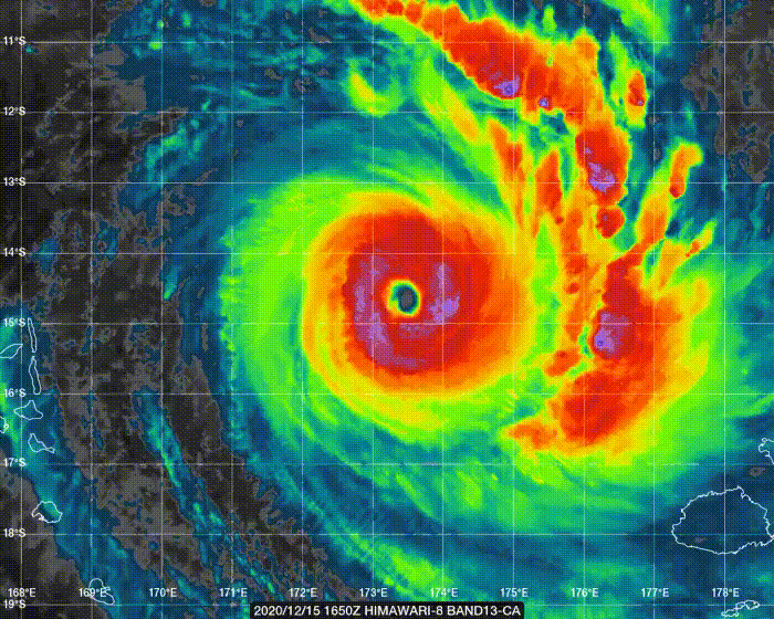
Nem linkelgetem, de nagyon látványos a dög.. szépen letisztult a szeme és látszólag lassan keletnek indult.
Milyen feltűnő, hogy a Karib-tenger vitte a hátán a szezont. Jó kis bedöglött nyírásmentes mocsár...

Hiába, sima cat1
Alig van 130-as alapszél... Esti sörözéshez pont ideális
Hűű... Gyanús, hogy Nivar sem cat1-esként fogja meglátogatni Tamilnandut, mint ahogy az előrék látják...

Persze. A hírek szerint majdnem mindenkinek sikerült elhagyni a félszigetet és a kontinens felé menekülni. Kérdés, hogy lesz-e hova visszamenni. Perceken belül partraszállás.

13000 hajléktalan 
Tudhatják vajon mi megy feléjük?
Elnézve az ottani állapotokat nem hiszem hogy lesznek majd mérési adatok
Tudhatják vajon mi megy feléjük?
Elnézve az ottani állapotokat nem hiszem hogy lesznek majd mérési adatok
Éjjel a medikénk is szépen összeszedte magát, most már inkább trópusinak tűnik. És ahogy ilyenkor lenni szokott, mindhárom ASCAT szélmérő műhold elkerülte ma délelőtt. 


Az érintett terület lakossága kb. 3-4 falu.
Gondolom ahogy a szárazföld sivataga fölé ér, azonnal gyengülni fog.
Mondjuk abban a 3-4 faluban egy építési vállalkozó nagyot fog kaszálni.
Gondolom ahogy a szárazföld sivataga fölé ér, azonnal gyengülni fog.
Mondjuk abban a 3-4 faluban egy építési vállalkozó nagyot fog kaszálni.
Bizony, az előrejelzésekben, modelleken gyenge-közepes TS szerepelt maximumnak még tegnap is...
Gyanítom, hogy a másik rendszer bekebelezése, és azzal együtt annak a plusz nedvessége, illetve örvényessége nagyban hozzásegítette a nem várt gyors erősödéshez.
Gyanítom, hogy a másik rendszer bekebelezése, és azzal együtt annak a plusz nedvessége, illetve örvényessége nagyban hozzásegítette a nem várt gyors erősödéshez.
Ráadásul a ~19 fokos maghőmérséklet alapján ez inkább cat4 lenne... Beszopatott mindenkit rendesen. Főleg a szomáli embereket. Sík terep és bódék várják Gatit azon a területen. Szép lesz....
Amúgy még sosem volt cat3-as Szomáliában
Amúgy még sosem volt cat3-as Szomáliában

Közben az Arab-tengeren meg a 03A jelű trópusi vihar szépen megkajálta a tőle délnyugatra kialakult 96A jelű (hivatalosan nem besorolt, de a műholdas mérések által alátámasztott) trópusi vihart egy szép kis Fujiwhara-kölcsönhatás végeredményeként. 
Itt még külön a kettő (meg egy harmadik zivatarrendszer tőlük délkeletre):
Aztán a kajálás:
Itt még külön a kettő (meg egy harmadik zivatarrendszer tőlük délkeletre):

Aztán a kajálás:

Ha már így elült az aktivitás az Atlantin, lássuk, csinál-e medikánt a hidegleszakadás! 

Áhh értem. Reggelre már változott is már éppen csak Cat 1-nek mutattja.






















