Hurrikánok és tájfunok
Hasznos linkek
>> National Hurricane Center>> Joint Typhoon Warning Center
>> Weather Underground
>> Tropical Tidbits
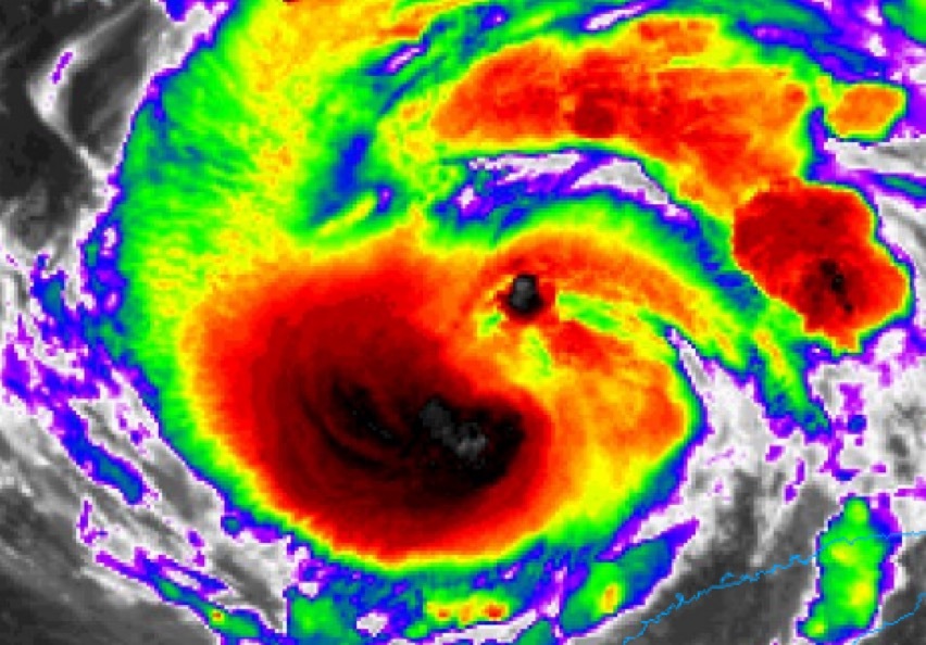
Ez a műholdkép fogadott mikor ránéztem. Gondoltam beküldöm ide és megkérdezzem hogy hivatalosan mikorra várják a partott érést ?
Amúgy a legnagyobb károkat Haumában és New Orleansba várják. Hiába nem kapja telibe New Orleanst a szem de valószínű a város nyugati része még így is megkapja a kóstólót a keleti szemfalból.
Amúgy a legnagyobb károkat Haumában és New Orleansba várják. Hiába nem kapja telibe New Orleanst a szem de valószínű a város nyugati része még így is megkapja a kóstólót a keleti szemfalból.

Bármennyire hihetetlen, ez is egy jó megoldás, csak nem a szembe kell menni és ügyes hajósnak kell lenni.
Vannak vállalkozók. Barry, a halász például a bárkájával ki fog menni a tengerre, ha jön majd a vihar. Remélem online tolja majd.
Sajnos jó eséllyel az utolsó útja lesz, ha tényleg kimegy.
Link
Link
Houma városból fognak készülni jó képek, ha egyben marad a szeme, illetve ha lesz aki lefotózza.
GFS szerint New Orleans kapná a majdnem legtöbb esőt.
ECM szerint megúsznák.



GFS szerint New Orleans kapná a majdnem legtöbb esőt.

ECM szerint megúsznák.
Robbanásszerű erősödésben van Ida..
Kemény partotérés néz ki Cat4-ként. Közben a késői evakuálások miatt beálltak az utak, autópályák.
Utolsó adatok szerint 955mb a központi légnyomás, max szél 188km/h, 24km/h -val halad ÉNy-i irányba.
Kemény partotérés néz ki Cat4-ként. Közben a késői evakuálások miatt beálltak az utak, autópályák.
Utolsó adatok szerint 955mb a központi légnyomás, max szél 188km/h, 24km/h -val halad ÉNy-i irányba.
Keletebbre megy az előrejelzett útvonalhoz képest, ezzel keletebbre lehet a landfall is, közelebb New Orleanshoz. Majd holnap meglátjuk.
Amúgy Kubában nem volt olyan veszélyes Ida. Jó, mondjuk takarítani kellett utána rendesen, meg Pinar del Río-ban leesett 104,8 mm, de az tán még jól is jött a Covid miatt szenvedő mezőgazdaságnak
Azt hitték a száraz levegő jobban bekavar
Közben 2-es lett Link
Nyugatabbra várják kicsit Katrinánál partot érést így nem szólna akkorát New Orleans-ben mint a Katrina, de így is a piszkos oldalon lesznek.
Ahol partot ér várhatóan Houma térsége gyérebben lakott mocsaras lápos vidék, nem sűrűn lakott.
Közben 2-es lett Link
Nyugatabbra várják kicsit Katrinánál partot érést így nem szólna akkorát New Orleans-ben mint a Katrina, de így is a piszkos oldalon lesznek.
Ahol partot ér várhatóan Houma térsége gyérebben lakott mocsaras lápos vidék, nem sűrűn lakott.
Nem is értem, 31 fokos víz felett hogyan várhattak a hozzáértők 2-es hurrikánt?
Nyilvánvaló volt, hogy sokkal erősebb lesz!
Nyilvánvaló volt, hogy sokkal erősebb lesz!
Ahoz képest hogy tegnap elött mennyire szét volt nyírva milyen brutál struktúrája lett.
Épp Katrina évfordulóján csap le. Eddig csak épp 2-esnek várták és egy nap alatt hirtelen upgrade-elték major hurrikánra, 4-es várható, mint amilyen Katrina volt. Nézem az amerikai híreket, elkezdték az evakuálásokat, hirtelen jött ez, már csak egy nap van felkészülni. Ráadásul a kóházak tele vannak Covidosokkal ez is elhangzott a tájékoztatón. Egyik baj jön a másikra.
Szerintem is simán meglehet a 4-es kategória, az 5-ös talán nem, ahhoz túl gyorsan fog menni, de teljesen azt sem zárnám ki. A víz nagyon meleg lesz előtte végig, ha elhagyja Kubát, 30-31 °C körüli. Egyébként szépen összekapta magát már most, tegnap ilyenkor még éppen csak TS volt elnyírt struktúrával, az elmúlt egy-két órában viszont már hurrikánná erősödött.

Jól mutat a két hurrikán a térképen.
GFS várja a vasárnapit oda...
Még rá egy hétre a következőt ugyanoda.

GFS várja a vasárnapit oda...

Még rá egy hétre a következőt ugyanoda.

Grace bedurrant rendesen, masszív "hot tower"-eket nyom -80 fok alatti tetőkkel. Nem lennék meglepve, ha a partot érés előtt elérné a 3-as kategóriát, de a 2-es közepe-teteje szinte biztos, hogy meglesz.

Tegnap megszületett az atlanti térség második hurrikánja is, Grace. Mostanában éri el a Yucatán-félszigetet, a Mexikói-öböl déli részén viszont még lehet majd egy erősödési szakasza, illetve több modell mutatja, hogy miután a maradványa átjut a Csendes-óceán fölé, ott ismét trópusi ciklon lehet majd.
Emellett úgy néz ki, hogy ma-holnap Henri is hurrikán lesz, egyelőre az USA partjaitól messze keletre, viszont északra kanyarodva New York környékén és/vagy attól északkeletebbre okozhat majd némi aggodalmat a jövő hét elején.
Emellett úgy néz ki, hogy ma-holnap Henri is hurrikán lesz, egyelőre az USA partjaitól messze keletre, viszont északra kanyarodva New York környékén és/vagy attól északkeletebbre okozhat majd némi aggodalmat a jövő hét elején.

Grace ugyan "csak" TS, de holnap Haitit kapja telibe... viszi, amit a rengés meghagyott...

A Csendes-óceán keleti térségének legújabb karikája, a 3-as erősségű Linda, az eddigiekhez hasonlóan szintén Mexikótól messze nyugatra.

Jogos, legközelebb majd figyelek rá. 
- - - - - - - - - - - - - - -
Közben Felicia szép gyűrűszerű hurrikán lett, szinte teljesen megszűntek körülötte a külső spirális csapadékkarok.
- - - - - - - - - - - - - - -
Közben Felicia szép gyűrűszerű hurrikán lett, szinte teljesen megszűntek körülötte a külső spirális csapadékkarok.

Gyakran teszel be ide információkat a hurrikánokról, de mindig utána kell keresnem, hogy hol is van az aktuális!Lehet, hogy Te vagy Ti tudjátok, én sosem tudom!
Ezt sem tudom hol vanKözben megtaláltam, de ha legközelebb beírsz vagy bárki beír valamit, kérlek írjátok meg hol van pontosan!
Nem koordinátákra gondolok, hanem pl. Hawaai és Mexikó között.
Köszönöm!
Ezt sem tudom hol vanKözben megtaláltam, de ha legközelebb beírsz vagy bárki beír valamit, kérlek írjátok meg hol van pontosan!
Nem koordinátákra gondolok, hanem pl. Hawaai és Mexikó között.
Köszönöm!
Felícia drága jól megszívta magát, már erős 3-as, ezzel ez az első major is idén a nyugati féltekén. 

Elsa kezdi összeszedni magát, kíváncsi leszek, újra hurrikánná tud-e erősödni, mielőtt eléri Kubát.






















