2025. december 08., hétfő
Képtár:    Egyéb/Fórum Képek száma: 91802
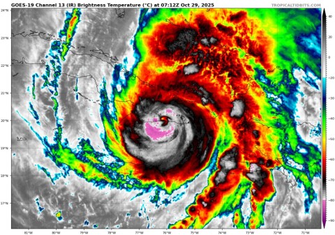
<-Nagyításhoz kattints a képre!->
pic Feltöltő: wetsom
Feltöltötte: 2025-10-29 08:33:52


 Felhasználó további képei


Nem érkezett még hozzászólás ehhez a képhez.

Havazás előrejelzés

Utolsó észlelés

2025-12-08 00:08:19

Zirc

4.3 °C

Észlelési napló

Térképek

Radar
map
Aktuális hõmérséklet
map
Aktuális szél
map

Utolsó kép

147658

Hírek, események

Újabb mediterrán ciklon érkezik

Időjárás-változás | 2025-11-23 10:49

pic
Alig ment el az előző, máris jön a következő ciklon.