2025. december 18., csütörtök

Viszlát 2005, viszlát görögök! - a 2020-as hurrikánszezon

Érdekességek - Publikálva: 2021-03-18 12:23 | Becsült olvasási idő: kb 5 perc.

Bár a 2020-as hurrikánszezon már lassan 4 hónapja véget ért, a sok ciklon miatt az utólagos elemzése még jelenleg is folyamatban van. A tavalyi szezonban összesen 30 névvel ellátott ciklon alakult ki az Atlanti-óceánon, így e tekintetben felülmúlta az eddigi rekorder 2005-ös évet. Emellett akár csak akkor, most is előkerült a görög ABC a ciklonok elevezésénél, ám ahogy néhány napja kiderült, utoljára. Következzen egy rövid összegzés a szezonról!

Sok kicsi sokra megy

 

A szezon első felét ezzel a közkeletű mondással jellemezhetnénk, ugyanis az viszonylag korán és sok, de gyenge ciklonnal kezdődött. Már májusban kialakult 2 trópusi vihar, amit augusztus közepéig további 7 követett, ezek mellett pedig 2 gyenge hurrikán is létrejött. Ezzel augusztus közepére már a Kyle névig jutott a szezon, és csak 10 volt hátra az előre megadott 21 elemű névlistából. A július eleji Edouard nevű vihartól kezdve minden további ciklon kialakulása a szezonban rekord korainak számított, hol csak néhány nappal, hol két-három héttel megelőzve a korábbi rekordot tartó, - jellemzően az előző igen aktív 2005-ös - ciklonok kialakulási idejét.

Hanna, az első atlanti hurrikán 2020-ban (NASA)

 

Pörgős kora ősz

 

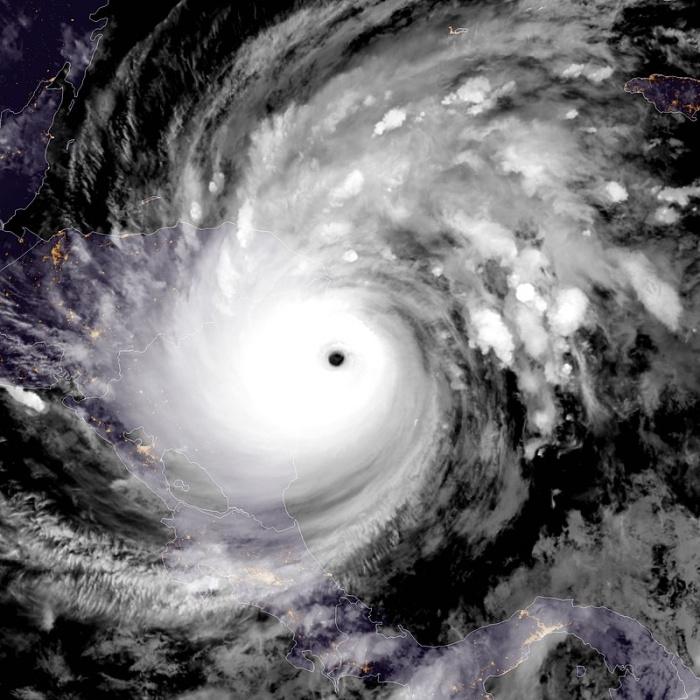
Augusztus közepétől - a klimatológiai átlagnak is megfelelően - magasabb fokozatra kapcsolt a szezon, mind a ciklonok kialakulásának ütemében, mind az erősségükben. A hónap végén rögtön a szezon egyik legpusztítóbb hurrikánja, Laura következett, ami a Nagy-Antillák szigetein még trópusi viharként haladt végig, de a kiadós esőzések révén itt is nagy károkat okozott. A Mexikói-öböl felett viszont 4-es kategóriájú hurrikánná erősödött, és úgy ért partot Louisiana-ban, Cameron közelében. Ezt további 5 hurrikán követte szeptember közepéig, melyek közül a Teddy névre keresztelt szintén elérte a 4-es erősséget. A hurrikánok nagyobb része csak kevés lakott területet érintett, így mérsékelt károkat okozott, de Sally jelentősebb károkkal járt a Mexikói-öböl északkeleti részén. Ezek mellett 4 trópusi vihar is kifejlődött ebben az időszakban, így szeptember 17-én elfogyott az előre megadott névlista, jöhetett a görög ABC.

A Laura hurrikán nem sokkal a partot érése előtt (NASA)

 

Alpha-tól Iota-ig

 

Az első "görög" ciklon, Alpha különlegesnek számított, mivel egy korábbi mérsékelt övi ciklon átalakulásával lett szubtrópusi ciklon a portugál partok közelében 17-én, másnap pedig partot is ért Portugáliában, amivel a harmadik olyan ciklon lett, ami trópusi vagy szubtrópusi állapotban érte el a kontinentális Európát, egy 1842-es hurrikán és a 2005-ös Vince hurrikán után - utóbbi trópusi depresszióként ért partot Dél-Spanyolországban. Ráadásul épp ezekben a napokban volt aktív az utóbbi évek legerősebb és leginkább trópusinak tekinthető ciklonja a Földközi-tengeren, amit Ianos névre kereszteltek, és bizonyítottan 1-es erősségű hurrikánként érte el Görögországot, szimbolikusan éppen akkor, amikor az Atlanti-óceánon használatba vették a görög ABC-t. Ide kattintva részletes összefoglaló olvasható a ciklonról.

Az Alpha szubtrópusi ciklon a portugál, míg az Ianos trópusi ciklon a görög partoknál szeptember 18-án (NASA)

 

A soron következő ciklonok közül a Beta, a Gamma és a Theta erős trópusi viharként tetőztek - igaz, az utóbbi kettő nagyon közel volt az 1-es kategóriához -, míg a Zeta elérte a 2-es, az Epsilon a 3-as, a Delta és az Eta a 4-es kategóriát, szezonzáró "csattanóként" pedig az Iota 5-ös volt. A hurrikánok - az Epsilon kivételével - a Karibi-térség nyugati részét és a Mexikói-öböl vidékét érintették, jelentős károkat okozva. Ráadásul az Eta és az Iota ciklonok két héttel egymást követően szinte ugyan ott értek partot Nicaraguában, így a pusztításuk is összegződött. Az előbbi hurrikán pedig ezt követően kacskaringós utat bejárva érintette Kubát és Floridát is, igaz, már jelentősen legyengülve.

A nyílt óceán felett vonuló Epsilon hurrikán még csak látványossággal szolgált (NOAA / Tropical Tidbits)...

Az Eta és Iota hurrikánok azonban már jelentős pusztítást is okoztak, elsősorban Közép-Amerikában (NASA, NOAA)

 

Összegzés

 

A szezonban végül összesen 31 trópusi ciklon alakult ki, mely megegyezett az eddigi rekorder 2005-ös évvel. Elnevezett, azaz legalább trópusi vihar erősségű ciklonból viszont 30 volt, ami 2-vel felülmúlta a 2005-ös számot, év mivel akkor az egyik szubtrópusi ciklon csak utólag, név nélkül lett besorolva, így a görög ABC-ben 3 névvel tovább jutott a tavalyi szezon, ami értelem szerűen az eddigi legtöbb felhasznált név volt. És mint utóbb kiderült, ez a rekord már végérvényesen a 2020-as évé marad.

 

Az egyes szezonokra előre megadott, 6 évente ismétlődő 21 elemű névlistából ugyanis azokat a ciklonokat, amelyek különösen nagy erejűek vagy pusztítóak, visszavonultatják, és új (azonos kezdőbetűjű) nevekkel pótolják őket a 6 év múlva ismét sorra kerülő listában. A görög ABC esetében viszont ez a lehetőség nem állt fenn, márpedig a tavalyi szezonban épp ezek közül kerültek ki a legpusztítóbb hurrikánok. Ennek megoldásaként végül az egész görög listát leváltják az idei szezontól, és amennyiben az előre megadott 21 (a Csendes-óceán keleti részén 24) névnél többet kellene használni egy szezonban, úgy egy szintén keresztneveket tartalmazó, állandó kiegészítő lista lép érvénybe mind az Atlanti-, mind a keleti Csendes-óceánon, ami megtekinthető itt: https://public.wmo.int/en/media/news/supplemental-list-of-tropical-cyclone-names-raiv Ebből indokolt esetben már visszavonultathatóak lesznek a nevek, és pótolhatók másikakkal.

 

Érdemes még megemlíteni, hogy bár az elnevezett ciklonok számában a 2020-as szezon lett az új rekorder, a hurrikánok és erős - legalább 3-as kategóriájú - hurrikánok száma (13, illetve 6) kissé elmaradt a 2005-ös értékektől (15, illetve 7). Még nagyobb volt a különbség az úgynevezett akkumulált ciklon energia esetében, melynek számításakor a ciklonok erőssége és időtartama ötvöződik. E tekintetben a 2005-ös szezon is csak a dobogó 2. fokára fért fel anno 250 egységgel (a csúcstartó az 1933-as szezon 259 egységgel), a tavalyi szezon viszont csak az aktuális - még nem teljesen végleges - adatok alapján csak a 10. helyre fért fel 182 egységgel. Ez jól tükrözi, hogy a korábban már említett módon hiába volt sok a ciklon, főként a szezon első felében ezek nagyobb részét néhány napos élettartamú és viszonylag gyenge trópusi viharok adták, melyek e tekintetben nem nyomtak sokat a latba.

 

Mindez visszaigazolja, hogy a ciklonok számának növekedése nem feltétlenül valós trend, hanem az egyre fejlettebb megfigyelési lehetőségek, illetve az időközben változó besorolási rendszernek is köszönhető. Az alábbi grafikon például azt mutatja be, hogyan alakult a mindössze legfeljebb 2 napig fennálló trópusi ciklonok száma az elmúlt évek során. Szembetűnő, hogy ezek növekedése a repülőgépes, majd műholdas mérések elterjedésével, javulásával kezdett határozottan növekedni az 1940-es, 50-es évek körül, majd egy átmeneti stagnálás után a 2000-es években ugrásszerű növekedés történt, amikor a korábbi gyakorlaton változtatva elkezdték elnevezni a szubtrópusi ciklonokat is. E tekintetben egyébként a 2020-as szezon a 2. helyen végzett 8 ciklonnal, csak 2005-ben és 2007-ben volt ennél 1-gyel több rövid életű ciklon.

Storm2k fórum / wxman57 grafikája

Vissza a kategória főoldalra